There are multiple listings for this address:
This property is zoned C-2. C-2 zoning in Victorville, CA, refers to the General Commercial District, designed to accommodate a wide range of retail, service, and office businesses that serve community and regional needs.
This designation permits activities like retail stores, banks, offices, and neighborhood markets, often allowing for more intensive commercial uses than C-1 zones.
Key details regarding C-2 General Commercial zoning in Victorville include:
Allowed Uses: Retail commercial, professional offices, clinics, banks, and personal services.
Purpose: To provide suitable, high-visibility locations for businesses, often along major corridors.
Development Standards: These properties must follow specific city, County of San Bernardino, or relevant Specific Plan standards, which may include restrictions on height (e.g., limiting height if near residential areas) and signage, as seen in, for example, this City of Victorville zoning guide and this Zoning Map/Land Use Data from Zoneomics.
Flexibility: C-2 zones can sometimes allow for mixed-use developments where commercial and residential components are combined.
This designation permits activities like retail stores, banks, offices, and neighborhood markets, often allowing for more intensive commercial uses than C-1 zones.
Key details regarding C-2 General Commercial zoning in Victorville include:
Allowed Uses: Retail commercial, professional offices, clinics, banks, and personal services.
Purpose: To provide suitable, high-visibility locations for businesses, often along major corridors.
Development Standards: These properties must follow specific city, County of San Bernardino, or relevant Specific Plan standards, which may include restrictions on height (e.g., limiting height if near residential areas) and signage, as seen in, for example, this City of Victorville zoning guide and this Zoning Map/Land Use Data from Zoneomics.
Flexibility: C-2 zones can sometimes allow for mixed-use developments where commercial and residential components are combined.
Property Details
Price:
$2,282,600
MLS #:
538697
Status:
Active
Beds:
0
Baths:
0
Type:
Land
Neighborhood:
vicvictorville
Listed Date:
Jan 9, 2026
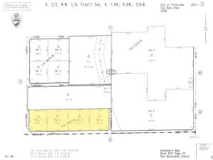
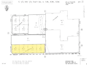
Lot Size:
157,423 sqft / 3.61 acres (approx)
See this Listing
Schools
Interior
Exterior
Community Features
RUR
View
DE
Financial
Map
Community
- AddressBear Valley RD Victorville CA
- CityVictorville
- CountySan Bernardino
- Zip Code92392
Market Summary
Current real estate data for Land in Victorville as of Apr 15, 2026
300
Land Listed
248
Avg DOM
$458,491
Avg List Price
Property Summary
- Bear Valley RD Victorville CA is a Land for sale in Victorville, CA, 92392. It is listed for $2,282,600 and features 4 acres.
Similar Listings Nearby
Bear Valley RD
Victorville, CA
This property is zoned C-2. C-2 zoning in Victorville, CA, refers to the General Commercial District, designed to accommodate a wide range of retail, service, and office businesses that serve community and regional needs.
This designation permits activities like retail stores, banks, offices, and neighborhood markets, often allowing for more intensive commercial uses than C-1 zones.
Key details regarding C-2 General Commercial zoning in Victorville include:
Allowed Uses: Retail commercial, professional offices, clinics, banks, and personal services.
Purpose: To provide suitable, high-visibility locations for businesses, often along major corridors.
Development Standards: These properties must follow specific city, County of San Bernardino, or relevant Specific Plan standards, which may include restrictions on height (e.g., limiting height if near residential areas) and signage, as seen in, for example, this City of Victorville zoning guide and this Zoning Map/Land Use Data from Zoneomics.
Flexibility: C-2 zones can sometimes allow for mixed-use developments where commercial and residential components are combined.
This designation permits activities like retail stores, banks, offices, and neighborhood markets, often allowing for more intensive commercial uses than C-1 zones.
Key details regarding C-2 General Commercial zoning in Victorville include:
Allowed Uses: Retail commercial, professional offices, clinics, banks, and personal services.
Purpose: To provide suitable, high-visibility locations for businesses, often along major corridors.
Development Standards: These properties must follow specific city, County of San Bernardino, or relevant Specific Plan standards, which may include restrictions on height (e.g., limiting height if near residential areas) and signage, as seen in, for example, this City of Victorville zoning guide and this Zoning Map/Land Use Data from Zoneomics.
Flexibility: C-2 zones can sometimes allow for mixed-use developments where commercial and residential components are combined.
Property Details
Price:
$185,000
MLS #:
HD24018655
Status:
Active
Beds:
0
Baths:
0
Type:
Land
Neighborhood:
vicvictorville
Listed Date:
Dec 30, 2025
Lot Size:
217,800 sqft / 5.00 acres (approx)
See this Listing
Schools
Interior
Exterior
Community Features
RUR
View
DE
Financial
Map
Community
- AddressBear Valley RD Victorville CA
- CityVictorville
- CountySan Bernardino
- Zip Code92392
Market Summary
Current real estate data for Land in Victorville as of Apr 15, 2026
300
Land Listed
248
Avg DOM
$458,491
Avg List Price
Property Summary
- Bear Valley RD Victorville CA is a Land for sale in Victorville, CA, 92392. It is listed for $185,000 and features 5 acres.
Similar Listings Nearby
This property is zoned C-2. C-2 zoning in Victorville, CA, refers to the General Commercial District, designed to accommodate a wide range of retail, service, and office businesses that serve community and regional needs.
This designation permits activities like retail stores, banks, offices, and neighborhood markets, often allowing for more intensive commercial uses than C-1 zones.
Key details regarding C-2 General Commercial zoning in Victorville include:
Allowed Uses: Retail commercial, professional offices, clinics, banks, and personal services.
Purpose: To provide suitable, high-visibility locations for businesses, often along major corridors.
Development Standards: These properties must follow specific city, County of San Bernardino, or relevant Specific Plan standards, which may include restrictions on height (e.g., limiting height if near residential areas) and signage, as seen in, for example, this City of Victorville zoning guide and this Zoning Map/Land Use Data from Zoneomics.
Flexibility: C-2 zones can sometimes allow for mixed-use developments where commercial and residential components are combined.
This designation permits activities like retail stores, banks, offices, and neighborhood markets, often allowing for more intensive commercial uses than C-1 zones.
Key details regarding C-2 General Commercial zoning in Victorville include:
Allowed Uses: Retail commercial, professional offices, clinics, banks, and personal services.
Purpose: To provide suitable, high-visibility locations for businesses, often along major corridors.
Development Standards: These properties must follow specific city, County of San Bernardino, or relevant Specific Plan standards, which may include restrictions on height (e.g., limiting height if near residential areas) and signage, as seen in, for example, this City of Victorville zoning guide and this Zoning Map/Land Use Data from Zoneomics.
Flexibility: C-2 zones can sometimes allow for mixed-use developments where commercial and residential components are combined.
Property Details
Price:
$525,000
MLS #:
HD24070505
Status:
Active
Beds:
0
Baths:
0
Type:
Land
Neighborhood:
vicvictorville
Listed Date:
Apr 9, 2024
Lot Size:
374,180 sqft / 8.59 acres (approx)
See this Listing
Schools
Interior
Exterior
Community Features
RUR
View
DE
Financial
Map
Community
- AddressBear Valley RD Victorville CA
- CityVictorville
- CountySan Bernardino
- Zip Code92392
Market Summary
Current real estate data for Land in Victorville as of Apr 15, 2026
300
Land Listed
248
Avg DOM
$458,491
Avg List Price
Property Summary
- Bear Valley RD Victorville CA is a Land for sale in Victorville, CA, 92392. It is listed for $525,000 and features 9 acres.
Similar Listings Nearby
This property is zoned C-2. C-2 zoning in Victorville, CA, refers to the General Commercial District, designed to accommodate a wide range of retail, service, and office businesses that serve community and regional needs.
This designation permits activities like retail stores, banks, offices, and neighborhood markets, often allowing for more intensive commercial uses than C-1 zones.
Key details regarding C-2 General Commercial zoning in Victorville include:
Allowed Uses: Retail commercial, professional offices, clinics, banks, and personal services.
Purpose: To provide suitable, high-visibility locations for businesses, often along major corridors.
Development Standards: These properties must follow specific city, County of San Bernardino, or relevant Specific Plan standards, which may include restrictions on height (e.g., limiting height if near residential areas) and signage, as seen in, for example, this City of Victorville zoning guide and this Zoning Map/Land Use Data from Zoneomics.
Flexibility: C-2 zones can sometimes allow for mixed-use developments where commercial and residential components are combined.
This designation permits activities like retail stores, banks, offices, and neighborhood markets, often allowing for more intensive commercial uses than C-1 zones.
Key details regarding C-2 General Commercial zoning in Victorville include:
Allowed Uses: Retail commercial, professional offices, clinics, banks, and personal services.
Purpose: To provide suitable, high-visibility locations for businesses, often along major corridors.
Development Standards: These properties must follow specific city, County of San Bernardino, or relevant Specific Plan standards, which may include restrictions on height (e.g., limiting height if near residential areas) and signage, as seen in, for example, this City of Victorville zoning guide and this Zoning Map/Land Use Data from Zoneomics.
Flexibility: C-2 zones can sometimes allow for mixed-use developments where commercial and residential components are combined.
Property Details
Price:
$595,000
MLS #:
HD24225165
Status:
Active
Beds:
0
Baths:
0
Type:
Land
Neighborhood:
vicvictorville
Listed Date:
Dec 15, 2025
Lot Size:
425,581 sqft / 9.77 acres (approx)
See this Listing
Schools
Interior
Exterior
Community Features
RUR
View
DE
Financial
Map
Community
- AddressBear Valley RD Victorville CA
- CityVictorville
- CountySan Bernardino
- Zip Code92392
Market Summary
Current real estate data for Land in Victorville as of Apr 15, 2026
300
Land Listed
248
Avg DOM
$458,491
Avg List Price
Property Summary
- Bear Valley RD Victorville CA is a Land for sale in Victorville, CA, 92392. It is listed for $595,000 and features 10 acres.
Similar Listings Nearby
This property is zoned C-2. C-2 zoning in Victorville, CA, refers to the General Commercial District, designed to accommodate a wide range of retail, service, and office businesses that serve community and regional needs.
This designation permits activities like retail stores, banks, offices, and neighborhood markets, often allowing for more intensive commercial uses than C-1 zones.
Key details regarding C-2 General Commercial zoning in Victorville include:
Allowed Uses: Retail commercial, professional offices, clinics, banks, and personal services.
Purpose: To provide suitable, high-visibility locations for businesses, often along major corridors.
Development Standards: These properties must follow specific city, County of San Bernardino, or relevant Specific Plan standards, which may include restrictions on height (e.g., limiting height if near residential areas) and signage, as seen in, for example, this City of Victorville zoning guide and this Zoning Map/Land Use Data from Zoneomics.
Flexibility: C-2 zones can sometimes allow for mixed-use developments where commercial and residential components are combined.
This designation permits activities like retail stores, banks, offices, and neighborhood markets, often allowing for more intensive commercial uses than C-1 zones.
Key details regarding C-2 General Commercial zoning in Victorville include:
Allowed Uses: Retail commercial, professional offices, clinics, banks, and personal services.
Purpose: To provide suitable, high-visibility locations for businesses, often along major corridors.
Development Standards: These properties must follow specific city, County of San Bernardino, or relevant Specific Plan standards, which may include restrictions on height (e.g., limiting height if near residential areas) and signage, as seen in, for example, this City of Victorville zoning guide and this Zoning Map/Land Use Data from Zoneomics.
Flexibility: C-2 zones can sometimes allow for mixed-use developments where commercial and residential components are combined.
Property Details
Price:
$119,000
MLS #:
HD26022682
Status:
Active
Beds:
0
Baths:
0
Type:
Land
Neighborhood:
vicvictorville
Listed Date:
Jan 30, 2026
Lot Size:
217,800 sqft / 5.00 acres (approx)
See this Listing
Schools
Interior
Exterior
Community Features
RUR
View
DE
Financial
Map
Community
- AddressBear Valley RD Victorville CA
- CityVictorville
- CountySan Bernardino
- Zip Code92392
Market Summary
Current real estate data for Land in Victorville as of Apr 15, 2026
300
Land Listed
248
Avg DOM
$458,491
Avg List Price
Property Summary
- Bear Valley RD Victorville CA is a Land for sale in Victorville, CA, 92392. It is listed for $119,000 and features 5 acres.
Similar Listings Nearby
This property is zoned C-2. C-2 zoning in Victorville, CA, refers to the General Commercial District, designed to accommodate a wide range of retail, service, and office businesses that serve community and regional needs.
This designation permits activities like retail stores, banks, offices, and neighborhood markets, often allowing for more intensive commercial uses than C-1 zones.
Key details regarding C-2 General Commercial zoning in Victorville include:
Allowed Uses: Retail commercial, professional offices, clinics, banks, and personal services.
Purpose: To provide suitable, high-visibility locations for businesses, often along major corridors.
Development Standards: These properties must follow specific city, County of San Bernardino, or relevant Specific Plan standards, which may include restrictions on height (e.g., limiting height if near residential areas) and signage, as seen in, for example, this City of Victorville zoning guide and this Zoning Map/Land Use Data from Zoneomics.
Flexibility: C-2 zones can sometimes allow for mixed-use developments where commercial and residential components are combined.
This designation permits activities like retail stores, banks, offices, and neighborhood markets, often allowing for more intensive commercial uses than C-1 zones.
Key details regarding C-2 General Commercial zoning in Victorville include:
Allowed Uses: Retail commercial, professional offices, clinics, banks, and personal services.
Purpose: To provide suitable, high-visibility locations for businesses, often along major corridors.
Development Standards: These properties must follow specific city, County of San Bernardino, or relevant Specific Plan standards, which may include restrictions on height (e.g., limiting height if near residential areas) and signage, as seen in, for example, this City of Victorville zoning guide and this Zoning Map/Land Use Data from Zoneomics.
Flexibility: C-2 zones can sometimes allow for mixed-use developments where commercial and residential components are combined.
Property Details
Price:
$850,000
MLS #:
IV26046325
Status:
Active
Beds:
0
Baths:
0
Type:
Land
Neighborhood:
vicvictorville
Listed Date:
Mar 4, 2026
Lot Size:
202,554 sqft / 4.65 acres (approx)
See this Listing
Schools
Interior
Exterior
Community Features
RUR
View
DE
Financial
Map
Community
- AddressBear Valley RD Victorville CA
- CityVictorville
- CountySan Bernardino
- Zip Code92392
Market Summary
Current real estate data for Land in Victorville as of Apr 15, 2026
300
Land Listed
248
Avg DOM
$458,491
Avg List Price
Property Summary
- Bear Valley RD Victorville CA is a Land for sale in Victorville, CA, 92392. It is listed for $850,000 and features 5 acres.


