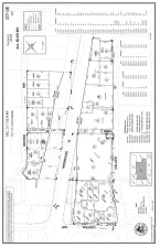
We’re pleased to present the opportunity to purchase +/- 30.88 gross acres of land located at the Lake Street & I-15 interchange in the City of Lake Elsinore. The site is a part of the larger Alberhill Specific Plan which encompasses thousands of residential units and millions of square feet of commercial & industrial space, primarily along Lake Street. The entirety of the site initially consisted of 270 acres, of which roughly 240 acres has already been sold to the RCA, leaving approximately 30 gross acres for development. Of the +/- 30 acres, we’ve estimated approximately 6.6 acres is usable based on the conceptual pad exhibit on the following page in which avoids blasting and balances from a grading standpoint. The grade also maxes out at 5% to accommodate trucks based on the various proposed uses. The +/- 6.6 net acres is split up between a larger 4.7-acre pad and smaller 1.9-acre pad. Ownership is open to selling all together or separate. Please reach out with any questions or interest in this opportunity.
Property Details
Price:
$5,000,000
MLS #:
IV25245407
Status:
Active
Beds:
0
Baths:
0
Type:
Land
Neighborhood:
srcarsouthwestriversidecounty
Listed Date:
Oct 22, 2025
Lot Size:
1,345,133 sqft / 30.88 acres (approx)
See this Listing
Schools
Interior
Exterior
Community Features
SUB
View
NO
Financial
Map
Community
- AddressWalker Canyon Road Lake Elsinore CA
- CityLake Elsinore
- CountyRiverside
- Zip Code92530
Market Summary
Current real estate data for Land in Lake Elsinore as of May 26, 2026
319
Land Listed
207
Avg DOM
$395,332
Avg List Price
Property Summary
- Walker Canyon Road Lake Elsinore CA is a Land for sale in Lake Elsinore, CA, 92530. It is listed for $5,000,000 and features 31 acres.
Similar Listings Nearby
Walker Canyon Road
Lake Elsinore, CA


