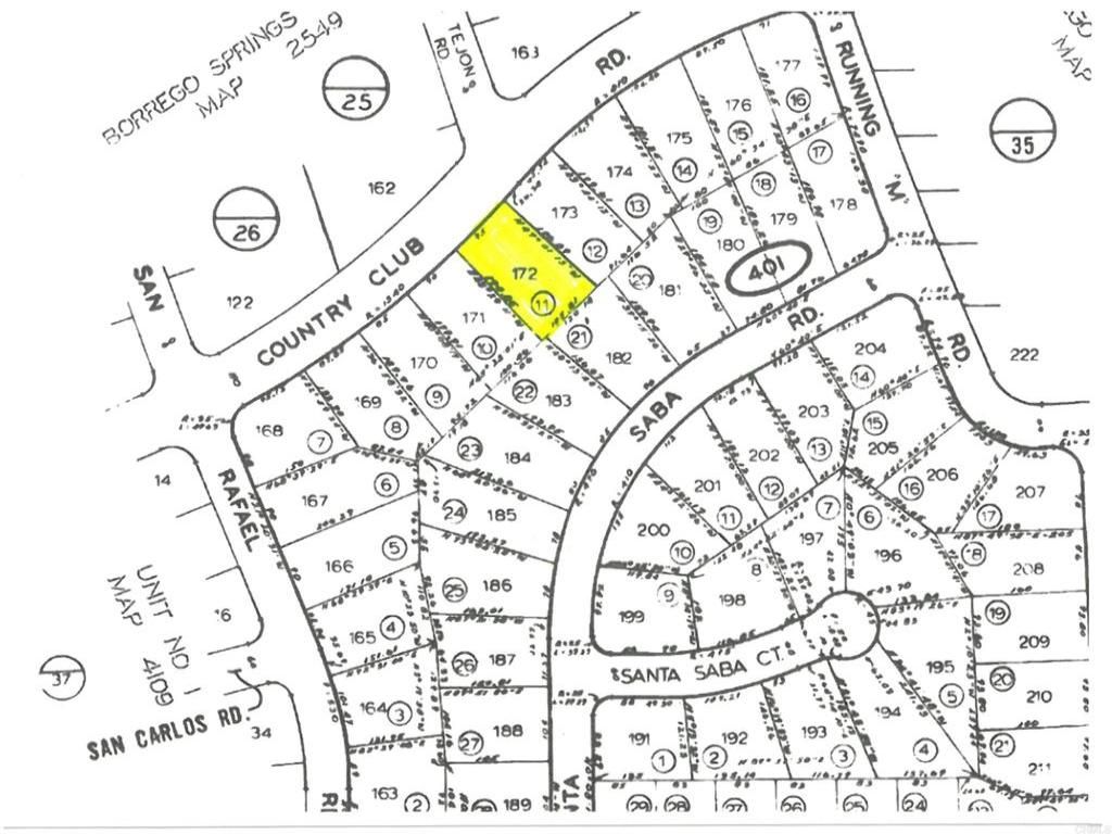
Located in the Ocotillo Heights neighborhood of Borrego, this parcel is close to downtown and offers great mountain views! The adjacent lot, APN 198-401-12-00 is also for sale. Borrego Springs is California’s first designated International Dark Sky Community and is in the northeastern region of San Diego County in the Anza-Borrego Desert State Park.
Property Details
Price:
$12,000
MLS #:
NDP2502265
Status:
Active
Beds:
0
Baths:
0
Type:
Land
Neighborhood:
92004borregosprings
Listed Date:
Mar 10, 2025
Lot Size:
18,295 sqft / 0.42 acres (approx)
See this Listing
Schools
Interior
Exterior
Community Features
RUR, VLY, FHL, MTN, PARK, HIKI
Financial
Map
Community
- AddressLot 172 Country Club DR Borrego Springs CA
- CityBorrego Springs
- CountySan Diego
- Zip Code92004
Subdivisions in Borrego Springs
Market Summary
Current real estate data for Land in Borrego Springs as of Dec 19, 2025
48
Land Listed
147
Avg DOM
$95,935
Avg List Price
Property Summary
- Lot 172 Country Club DR Borrego Springs CA is a Land for sale in Borrego Springs, CA, 92004. It is listed for $12,000 and features 0 acres.
Similar Listings Nearby
Lot 172 Country Club DR
Borrego Springs, CA


