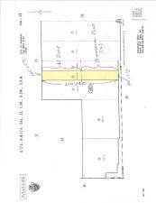
Split zone. R1 rear and Commercial (C) in front. Approx 165′ on Palmdale Road. Rear has frontage on Begonia Road. Level+- topography. Westerly property is approximately 1,600 feet east of Bellflower Street on north side of Palmdale Road. If going in from Begonia Road, westerly property line is approximately 350 feet from easterly line of Delicious Street. Very few Joshua trees on property. Ample room for development without disturbing Joshua trees. Seller will consider holding paper with 50% down.
Property Details
Price:
$410,000
MLS #:
HD24170031
Status:
Active
Beds:
0
Baths:
0
Type:
Land
Neighborhood:
adladelanto
Listed Date:
Dec 8, 2025
Lot Size:
211,631 sqft / 4.86 acres (approx)
See this Listing
Schools
Interior
Exterior
Community Features
SUB
Financial
Map
Community
- AddressPalmdale RD Adelanto CA
- CityAdelanto
- CountySan Bernardino
- Zip Code92301
Market Summary
Property Summary
- Palmdale RD Adelanto CA is a Land for sale in Adelanto, CA, 92301. It is listed for $410,000 and features 5 acres.
Similar Listings Nearby
Palmdale RD
Adelanto, CA


