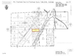
±11.65 acres of unimproved land for sale fronting Interstate 15 in Victorville; APN: 0472-231-33. This prime lot sites facing the site of the future Victor Valley Station for Brightline West’s high-speed rail line connecting Las Vegas and Southern California. With more than 450 feet of frontage along I-15, this lot allows for fantastic exposure to an approximate daily traffic count of 50,000. Zoned Resource Conservation and under the jurisdiction of San Bernardino County, this lot permits for a variety of residential, service, or industrial activities subject to county approval. The Brightline West Victor Valley Station recently received a $3 billion federal-state partnership grant and publicly announced the appointment of Siemens Mobility as the manufacture of the trains. Construction is expected to begin soon with the train in operation by late 2028. Buyer to verify all information contained herein. Agent and their representatives are not responsible for the accuracy of these claims.
Property Details
Price:
$125,000
MLS #:
HD25253430
Status:
Active
Beds:
0
Baths:
0
Type:
Land
Neighborhood:
vicvictorville
Listed Date:
Nov 4, 2025
Lot Size:
507,474 sqft / 11.65 acres (approx)
See this Listing
Schools
Interior
Exterior
Community Features
RUR
Financial
Map
Community
- AddressI-15 IN Victorville CA
- CityVictorville
- CountySan Bernardino
- Zip Code92392
Market Summary
Current real estate data for Land in Victorville as of Dec 19, 2025
42
Land Listed
61
Avg DOM
$481,458
Avg List Price
Property Summary
- I-15 IN Victorville CA is a Land for sale in Victorville, CA, 92392. It is listed for $125,000 and features 12 acres.
Similar Listings Nearby
I-15 IN
Victorville, CA


