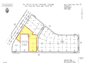
Development Opportunity – 3.62 Acres on 2 contiguous lots currently zoned R-1T for best use located in Old Town Victorville off of A Street between Avalon and Third Street (and may still be in federal Qualified Opportunity Zone – must check new 2025 Regulations to be issued).[(NOTE: Also offered separately 3 smaller SP-zoned lots (allowing for medium residential density) fronting on A St within Old Town Specific Plan contiguous to our APN 0478-071-022-0000]. Buyer to consult with City of Victorville regarding potential best use of this 3.62 acres – Also Note recent/ongoing contiguous 60-unit development (at 0478-071-01 & -30 and 0478-092-02) pursuant to Victorville Plan for Old Town. Buyer and Buyer Agent to consult with City of Victorville and respective agencies or authorities regarding all zoning, permitted or conditional uses, utilities, etc. and should not rely on representations regarding such matters herein.
Property Details
Price:
$425,000
MLS #:
NP25194080
Status:
Active
Beds:
0
Baths:
0
Type:
Land
Neighborhood:
vic
Listed Date:
Aug 28, 2025
Lot Size:
157,654 sqft / 3.62 acres (approx)
See this Listing
Schools
Interior
Exterior
Community Features
URB
Financial
Map
Community
- AddressAvalon Ave & A St & Allen/3rd/Forrest Lot 16 Victorville CA
- CityVictorville
- CountySan Bernardino
- Zip Code92395
Market Summary
Current real estate data for Land in Victorville as of Oct 29, 2025
45
Land Listed
64
Avg DOM
$430,455
Avg List Price
Property Summary
- Avalon Ave & A St & Allen/3rd/Forrest Lot 16 Victorville CA is a Land for sale in Victorville, CA, 92395. It is listed for $425,000 and features 4 acres.
Similar Listings Nearby
Avalon Ave & A St & Allen/3rd/Forrest Lot 16
Victorville, CA







