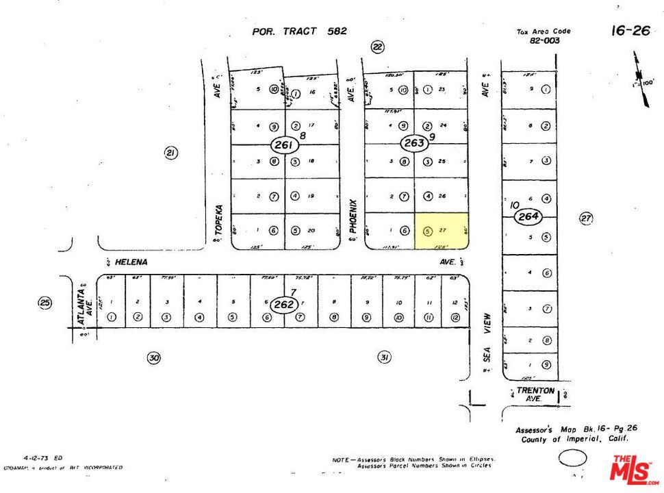
This 9,992sq.ft. lot is situated within a residential section of Salton City consisting of established streets and a combination of open parcels and developed properties. With nearby connections to Highway 86, the site is a straightforward choice for land in the area. This is a Probate sale which requires a 15 day Notice of Proposed Action & may or may not require court confirmation.
Property Details
Price:
$6,995
MLS #:
25624783
Status:
Active
Beds:
0
Baths:
0
Type:
Land
Subdivision:
Thermal
Neighborhood:
316thermal
Listed Date:
Dec 3, 2025
Lot Size:
9,992 sqft / 0.23 acres (approx)
See this Listing
Schools
Interior
Exterior
Financial
Map
Community
- Address2125 Sea View DR Thermal CA
- SubdivisionThermal
- CityThermal
- CountyImperial
- Zip Code92274
Subdivisions in Thermal
Market Summary
Property Summary
- Located in the Thermal subdivision, 2125 Sea View DR Thermal CA is a Land for sale in Thermal, CA, 92274. It is listed for $6,995 and features 0 acres.
Similar Listings Nearby
2125 Sea View DR
Thermal, CA



