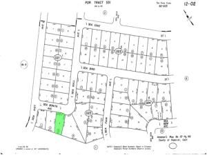
The address associated with this parcel is 2459 Sea Bonita Avenue, Salton City CA 92274. What is reflected is the Parcel# 012-023-003-000 which is +/-0.2484Acres. Zoning is R-1. Located in the area of Salton City which is Unincorporated Imperial County. Access via dirt Sea Bonita Avenue.
Property Details
Price:
$19,000
MLS #:
IG25133974
Status:
Active
Beds:
0
Baths:
0
Type:
Land
Neighborhood:
316
Listed Date:
Jun 15, 2025
Lot Size:
10,820 sqft / 0.25 acres (approx)
See this Listing
Schools
Interior
Exterior
Community Features
RUR
Financial
Map
Community
- AddressSea Bonita AV Lot 3 Thermal CA
- SubdivisionOther (OTHR)
- CityThermal
- CountyImperial
- Zip Code92274
Subdivisions in Thermal
Market Summary
Property Summary
- Located in the Other (OTHR) subdivision, Sea Bonita AV Lot 3 Thermal CA is a Land for sale in Thermal, CA, 92274. It is listed for $19,000 and features 0 acres.
Similar Listings Nearby
Sea Bonita AV Lot 3
Thermal, CA


