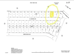
Residential Lot of 9,975 sq. feet. in the Coachella Valley. There is no public sewer in the area. Electricity provided by Imperial Irrigation Services. There are several homes in the area. 5 min. drive to The Salton Sea, hotels, and restaurants.
Property Details
Price:
$11,000
MLS #:
DW25093127
Status:
Active
Beds:
0
Baths:
0
Type:
Land
Neighborhood:
316thermal
Listed Date:
Apr 28, 2025
Lot Size:
9,975 sqft / 0.23 acres (approx)
See this Listing
Schools
Interior
Exterior
Community Features
RUR, VLY, FHL, LAKE, HIKI, BIKI
View
VA
Financial
Map
Community
- Address2315 El Dorado AV Thermal CA
- SubdivisionOther (OTHR)
- CityThermal
- CountyImperial
- Zip Code92274
Subdivisions in Thermal
Market Summary
Property Summary
- Located in the Other (OTHR) subdivision, 2315 El Dorado AV Thermal CA is a Land for sale in Thermal, CA, 92274. It is listed for $11,000 and features 0 acres.
Similar Listings Nearby
2315 El Dorado AV
Thermal, CA


