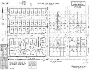
The subject property is made up of two available parcels per Parcel Map No.37863 and labeled as Parcels 1 and 3. Parcel 2 is already built out as an existing Dollar Tree, Parcel A is an existing Circle K gas station/convenience store and car wash and Parcel 4 is currently being entitled for roughly 125 single-family detached homes. The site has flat topography with curb and gutter in place along Parcel 1 (0.74 Net AC) and an existing signal at Sanderson Ave & Esplanade Center. The property has approximately 450 feet of combined frontage along Sanderson Ave which has traffic counts of 16,203 cars per day and 6,171 cars per day on Esplanade Ave. To the east of the property, across Sanderson Ave, is the existing San Jacinto Esplanade
Retail Center with existing national tenants such as Walgreens, Starbucks, Jack in the Box, Subway, as well as several other smaller restaurant, retail, and medical tenants. To the north of the retail center is an existing medium density residential subdivision. Sewer and Water are serviced by EMWD with existing sewer and water in place along Sanderson Ave.
Retail Center with existing national tenants such as Walgreens, Starbucks, Jack in the Box, Subway, as well as several other smaller restaurant, retail, and medical tenants. To the north of the retail center is an existing medium density residential subdivision. Sewer and Water are serviced by EMWD with existing sewer and water in place along Sanderson Ave.
Property Details
Price:
$599,000
MLS #:
IV23124632
Status:
Active
Beds:
0
Baths:
0
Type:
Land
Neighborhood:
srcarsouthwestriversidecounty
Listed Date:
Jul 11, 2023
Lot Size:
37,462 sqft / 0.86 acres (approx)
See this Listing
Schools
Interior
Exterior
Community Features
SUB
View
NO
Financial
Map
Community
- AddressS Sanderson Avenue San Jacinto CA
- CitySan Jacinto
- CountyRiverside
- Zip Code92582
Market Summary
Current real estate data for Land in San Jacinto as of Apr 01, 2026
35
Land Listed
196
Avg DOM
$729,945
Avg List Price
Property Summary
- S Sanderson Avenue San Jacinto CA is a Land for sale in San Jacinto, CA, 92582. It is listed for $599,000 and features 1 acres.
Similar Listings Nearby
S Sanderson Avenue
San Jacinto, CA


