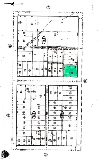
The subject is a level, 16,901 square foot corner parcel in a convenient location just north of downtown San Bernardino.  The property is located on the northeast corner of 9th and F Streets, just three blocks east of the Interstate 215 Freeway.  There is a 9th Street overpass over the Freeway, allowing 9th Street to serve as a busy east-west traffic street through the city. The property has approximately 125 and 135 linear feet on 9th Street and F Street, respectively.  The parcel is zoned Commercial–General 1 (CG-1), which allows, with an administrative or development permit, the construction of certain retail stores and medical facilities, office buildings, recreational facilities, new vehicle sales lots and a wide range of other commercial uses.  Other uses including liquor/convenience stores, drive-through restaurants, used vehicle sales lots and residential care facilities may be developed subject to the developer obtaining a conditional use permit.  The commercially-zoned parcel to the east of the subject may be available for purchase, allowing a developer the opportunity for an expanded development.  The popular city-owned Bryce E. Hanes Park is approximately 200 feet to the east of the subject.  The property was formerly improved with a religious building which was demolished and the parcel was fully-remediated.  There are utilities to the parcel.
San Bernardino, with a population of 225,000, is strategically-located between the Interstate 10, 210 and 215 Freeways, all of which are major transportation corridors throughout the Inland Empire. The city is the county seat for San Bernardino County, which has a population of over 2,225,000. It is a gateway to the many recreation areas in the San Bernardino National Forest, including Crestline, Lake Arrowhead and Big Bear Lake. Interstate 215 connects north of the subject to Interstate 15, which is the major freeway leading to Victorville and Las Vegas. Interstate 10 is a major route to Palm Springs and the Coachella Valley. San Bernardino International Airports is located less than three miles to the southeast of the subject.
The subject is located in a Federal Opportunity Zone, which allows an investor significant income tax benefits. With a minimal down payment, the Seller has offered to carry a promissory note secured by a first deed of trust on the property. The Seller will also consider accepting a trade for a portion or all of the purchase price.
San Bernardino, with a population of 225,000, is strategically-located between the Interstate 10, 210 and 215 Freeways, all of which are major transportation corridors throughout the Inland Empire. The city is the county seat for San Bernardino County, which has a population of over 2,225,000. It is a gateway to the many recreation areas in the San Bernardino National Forest, including Crestline, Lake Arrowhead and Big Bear Lake. Interstate 215 connects north of the subject to Interstate 15, which is the major freeway leading to Victorville and Las Vegas. Interstate 10 is a major route to Palm Springs and the Coachella Valley. San Bernardino International Airports is located less than three miles to the southeast of the subject.
The subject is located in a Federal Opportunity Zone, which allows an investor significant income tax benefits. With a minimal down payment, the Seller has offered to carry a promissory note secured by a first deed of trust on the property. The Seller will also consider accepting a trade for a portion or all of the purchase price.
Property Details
Price:
$295,000
MLS #:
PW25215885
Status:
Active
Beds:
0
Baths:
0
Type:
Land
Neighborhood:
274
Listed Date:
Oct 16, 2025
Lot Size:
16,901 sqft / 0.39 acres (approx)
See this Listing
Schools
Interior
Exterior
Community Features
SDW,   SUB,   BLM,   FHL,   PSV,   LAKE,   PARK,   HIKI,   BIKI
Financial
Map
Community
- AddressN F ST San Bernardino CA
 - CitySan Bernardino
 - CountySan Bernardino
 - Zip Code92410
 
Market Summary
Current real estate data for Land in San Bernardino as of Nov 04, 2025
43
Land Listed
66
Avg DOM
$632,551
Avg List Price
Property Summary
- N F ST San Bernardino CA is a Land for sale in San Bernardino, CA, 92410.  It is listed for $295,000 and features 0 acres.
 
Similar Listings Nearby
N F ST
San Bernardino, CA









