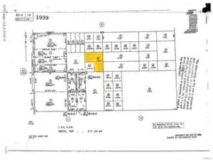
Amazing investment opportunity available from motivated seller! 3 separate parcels of 20 acres each equalling 60 +/- acres of land zoned LCA21 in LA County next to Palmdale and Lancaster. Owner will sell each individually or all together for a package deal. Owner finance option is available!! Address is just an approximate, corner stakes are just to give idea using GPS coordinates provided by the counties website. Flat usable land with great views on dirt road (Avenue I) off paved 120th St e or 140th St e. Buyer and buyers agent to check all information with the city or the county for allowable uses and requirements and rely on their own investigation. Buyer responsible for checking zoning, utilities, permits and exact property boundaries.
Property Details
Price:
$99,000
MLS #:
SR24056269
Status:
Active
Beds:
0
Baths:
0
Type:
Land
Neighborhood:
rvlt
Listed Date:
Sep 13, 2024
Lot Size:
871,449 sqft / 20.01 acres (approx)
See this Listing
Schools
Interior
Exterior
Community Features
RUR
Financial
Map
Community
- AddressVac/Ave I/Vic 135 Ste Lot 12 Roosevelt CA
- CityRoosevelt
- CountyLos Angeles
- Zip Code93535
Market Summary
Property Summary
- Vac/Ave I/Vic 135 Ste Lot 12 Roosevelt CA is a Land for sale in Roosevelt, CA, 93535. It is listed for $99,000 and features 20 acres.
Similar Listings Nearby
Vac/Ave I/Vic 135 Ste Lot 12
Roosevelt, CA



