Frontage on paved Phelan Rd. 3 miles from town with shopping and services. 5.75 miles from new 194 ac Amazon logistic center on Phelan Rd west of Hwy 395. Could be subdivided into smaller parcels. Water and electric are available.
Seller may finance with substantial down payment on approved credit.
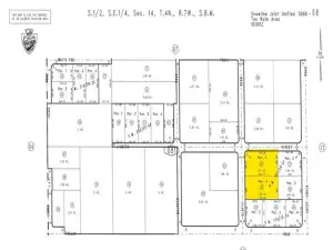
Main water lines runs along Sonora Rd(east side of property). Water meter is already in on Sonora Rd. The current cost of water meter is $14,000-$15,000, as of December 2025, according to Phelan/Pinon Hills Community Service District.
GPS Coordinates: 34.427465,-117.513265
Seller may finance with substantial down payment on approved credit.
Main water lines runs along Sonora Rd(east side of property). Water meter is already in on Sonora Rd. The current cost of water meter is $14,000-$15,000, as of December 2025, according to Phelan/Pinon Hills Community Service District.
GPS Coordinates: 34.427465,-117.513265
Property Details
Price:
$168,000
MLS #:
HD25154128
Status:
Active
Beds:
0
Baths:
0
Type:
Land
Neighborhood:
phelphelan
Listed Date:
Dec 15, 2025
Lot Size:
358,063 sqft / 8.22 acres (approx)
See this Listing
Schools
Interior
Exterior
Community Features
RUR, VLY, HRS, MIL
Financial
Taxes
$637
Map
Community
- AddressPhelan Parcel #3065-041-02 RD Phelan CA
- CityPhelan
- CountySan Bernardino
- Zip Code92371
Market Summary
Property Summary
- Phelan Parcel #3065-041-02 RD Phelan CA is a Land for sale in Phelan, CA, 92371. It is listed for $168,000 and features 8 acres.
Similar Listings Nearby
Phelan Parcel #3065-041-02 RD
Phelan, CA


