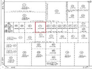
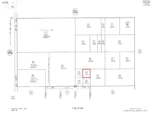
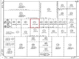
APN: 3078-016-007 Coordinates: 34.620972, -117.930194 3.4 Ace lot for sale in LA County. This lot is located just off of E Ave O and 110th St E in Palmdale, CA. Zoning is PDA2, per county records. Excellent location off of a major street.
Property Details
Price:
$19,999
MLS #:
IV25233814
Status:
Active
Beds:
0
Baths:
0
Type:
Land
Neighborhood:
plm
Listed Date:
Oct 6, 2025
Lot Size:
148,116 sqft / 3.40 acres (approx)
See this Listing
Schools
Interior
Exterior
Community Features
RUR
Financial
Map
Community
- AddressE Ave N-12 Lot S10 Palmdale CA
- CityPalmdale
- CountyLos Angeles
- Zip Code93591
Subdivisions in Palmdale
Market Summary
Property Summary
- E Ave N-12 Lot S10 Palmdale CA is a Land for sale in Palmdale, CA, 93591. It is listed for $19,999 and features 3 acres.
Similar Listings Nearby
E Ave N-12 Lot S10
Palmdale, CA


