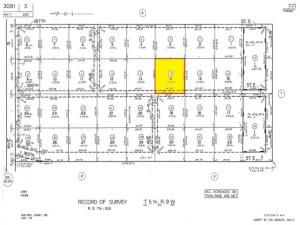
APN: 3081-005-014 Coordinates: 34.553111, -117.797917 2.58 Acre lot for sale in LA County. This lot is located on 186th St E off of E Ave S in Palmdale, CA. Excellent location accessible via dirt road near to other homes. Zoned LCA12 for agricultural use, per county records.
Property Details
Price:
$18,000
MLS #:
IV25262415
Status:
Active
Beds:
0
Baths:
0
Type:
Land
Neighborhood:
plm
Listed Date:
Nov 18, 2025
Lot Size:
112,331 sqft / 2.58 acres (approx)
See this Listing
Schools
Interior
Exterior
Community Features
RUR
Financial
Map
Community
- Address186th St E Lot 14 Palmdale CA
- CityPalmdale
- CountyLos Angeles
- Zip Code93591
Subdivisions in Palmdale
Market Summary
Property Summary
- 186th St E Lot 14 Palmdale CA is a Land for sale in Palmdale, CA, 93591. It is listed for $18,000 and features 3 acres.
Similar Listings Nearby
186th St E Lot 14
Palmdale, CA


