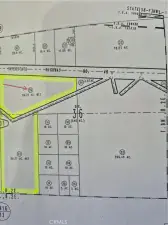
***Come VIEW and MAKE an OFFER TODAY! Affordable COMMERCIAL LAND OPPORTUNITY located in expanding Newberry Springs CA. The 33.99 ACRE PARCEL is zoned CG-SCp (General Commercial – Sign Control Primary) which allows for many different commercial/renewable energy uses including the possibility of installing billboard signage along the southern boundary which runs adjacent to VERY HIGH TRAFFIC Interstate-40. In addition to frontage along the interstate, the nearly 1.5M square-foot lot has approximately 800 feet of paved access frontage along Newberry Rd, and approximately 1300 feet of RAILROAD frontage along the northern boundary which could be suitable for a shipping RAIL SPUR. Not to mention, the site is only a few blocks away from the Interstate 40/Newberry Rd exit and is about 15 miles away from the Interstate 15/Hwy 58 interchanges offering excellent access to pretty much all of Southern CA. Plus the property is adjacent to utility lines. With huge companies like PG&E, BNSF, and the US Military expanding their activities nearby, this property is ideal for any savvy real estate investor or anyone looking to grow their business in order to accommodate the influx of logistical operations coming to the area. A definite MUST SEE OPPORTUNITY worthy of serious consideration before it’s too late! ***
Property Details
Price:
$224,990
MLS #:
HD25036371
Status:
Active
Baths:
0
Type:
Land
Neighborhood:
nbsnewberrysprings
Listed Date:
Feb 18, 2025
Lot Size:
1,480,604 sqft / 33.99 acres (approx)
See this Listing
Schools
Interior
Exterior
Community Features
Rural, Suburban
Financial
Map
Community
- Address53108238 Newberry Road 0531082380000 Newberry Springs CA
- NeighborhoodNBS – Newberry Springs
- CityNewberry Springs
- CountySan Bernardino
- Zip Code92365
Market Summary
Current real estate data for Land in Newberry Springs as of Oct 22, 2025
171
Land Listed
482
Avg DOM
$215,363
Avg List Price
Property Summary
- 53108238 Newberry Road 0531082380000 Newberry Springs CA is a Land for sale in Newberry Springs, CA, 92365. It is listed for $224,990 and features 34 acres.
Similar Listings Nearby
53108238 Newberry Road 0531082380000
Newberry Springs, CA








































