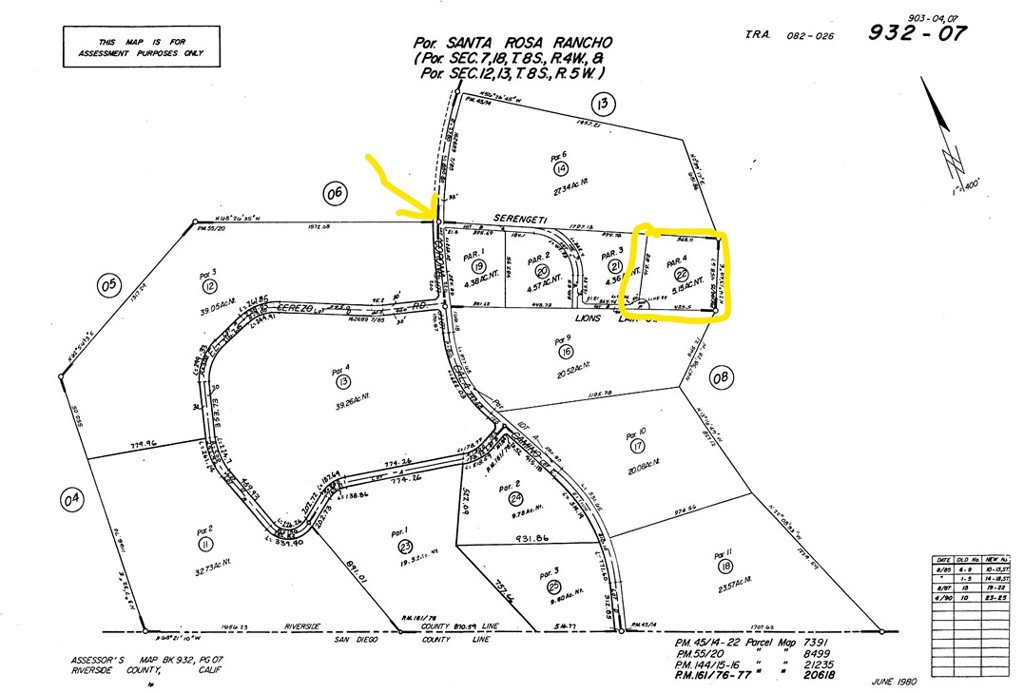
Views to the ocean! Sitting on the edge of the Mesa near the Plateau is this incredible 5.15ac. Build your dream here and enjoy unlimited, unobstructed views as far as the Pacific Ocean, De Luz, Fallbrook, Oceanside, Carlsbad and on a clear day La Jolla! The photos tell the story here. While other properties claim to have views, this one actually delivers….in spades. Many of the homes in the area are off the grid.
Property Details
Price:
$299,000
MLS #:
SW22170136
Status:
Active
Beds:
0
Baths:
0
Type:
Land
Neighborhood:
srcarsouthwestriversidecounty
Listed Date:
Aug 2, 2022
Lot Size:
224,334 sqft / 5.15 acres (approx)
See this Listing
Schools
Interior
Exterior
Community Features
RUR, BLM, HRS, MTN, HIKI, BIKI
Financial
Map
Community
- AddressLions Lair Lot 4 Murrieta CA
- CityMurrieta
- CountyRiverside
- Zip Code92562
Subdivisions in Murrieta
Market Summary
Property Summary
- Lions Lair Lot 4 Murrieta CA is a Land for sale in Murrieta, CA, 92562. It is listed for $299,000 and features 5 acres.
Similar Listings Nearby
Lions Lair Lot 4
Murrieta, CA
















