This prime Monrovia foothill offering presents a rare opportunity to acquire both a quality income-producing property and a high-potential development site in one. Currently generating steady rental income with a ~3% CAP rate, the property offers substantial room for improvement and future upside. It’s ideal for investors who wish to maintain income while advancing subdivision or redevelopment plans, minimizing carrying costs during the entitlement process.
The portfolio comprises two contiguous parcels: 537 Cloverleaf Dr. (APN: 8503-001-029) — approximately 4.88 acres with a 2,683 SF dwelling AND 539 Cloverleaf Dr. (APN: 8503-002-008) — approximately 14.97 acres with a 2,390 SF dwelling
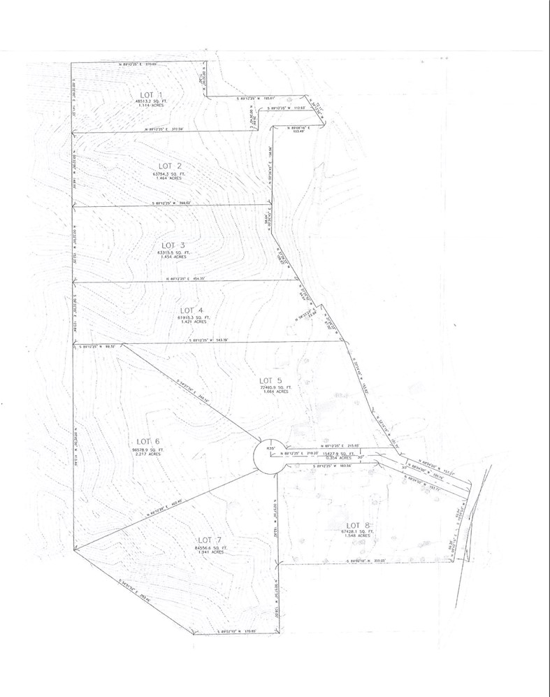
Together, the combined 19.85-acre property provides utilities on site. According to recent surveyor analysis, there is potential for 6 to 8 luxury single-family home lots. The optimal layout would likely include six primary lots, while two additional lots could be achieved with more complex hillside grading and retaining solutions.
Set amid the natural beauty of Monrovia’s hillside neighborhoods and just minutes from Old Town Monrovia, schools, and major transportation corridors, this property blends immediate income stability with long-term development potential—a rare combination in one of the San Gabriel Valley’s most desirable submarkets. All provided information should be confirmed by any interested parties.
The portfolio comprises two contiguous parcels: 537 Cloverleaf Dr. (APN: 8503-001-029) — approximately 4.88 acres with a 2,683 SF dwelling AND 539 Cloverleaf Dr. (APN: 8503-002-008) — approximately 14.97 acres with a 2,390 SF dwelling
Together, the combined 19.85-acre property provides utilities on site. According to recent surveyor analysis, there is potential for 6 to 8 luxury single-family home lots. The optimal layout would likely include six primary lots, while two additional lots could be achieved with more complex hillside grading and retaining solutions.
Set amid the natural beauty of Monrovia’s hillside neighborhoods and just minutes from Old Town Monrovia, schools, and major transportation corridors, this property blends immediate income stability with long-term development potential—a rare combination in one of the San Gabriel Valley’s most desirable submarkets. All provided information should be confirmed by any interested parties.
Property Details
Price:
$3,980,000
MLS #:
AR25241101
Status:
Active
Beds:
0
Baths:
0
Type:
Single Family
Subtype:
Quadruplex
Neighborhood:
639monrovia
Listed Date:
Oct 17, 2025
Total Sq Ft:
5,073
Lot Size:
864,776 sqft / 19.85 acres (approx)
Year Built:
1916
See this Listing
Schools
Interior
Laundry Features
NO
Exterior
Community Features
HIKI, BIKI
Financial
Map
Community
- Address537 Cloverleaf Dr Monrovia CA
- CityMonrovia
- CountyLos Angeles
- Zip Code91016
Market Summary
Current real estate data for Single Family in Monrovia as of Dec 10, 2025
41
Single Family Listed
76
Avg DOM
358
Avg $ / SqFt
$787,637
Avg List Price
Property Summary
- 537 Cloverleaf Dr Monrovia CA is a Single Family for sale in Monrovia, CA, 91016. It is listed for $3,980,000 and features 0 beds, 0 baths, and has approximately 0 square feet of living space, and was originally constructed in 1916. The average price per square foot for Single Family listings in Monrovia is $358. The average listing price for Single Family in Monrovia is $787,637.
Similar Listings Nearby
537 Cloverleaf Dr
Monrovia, CA












