PRIME 4.41-ACRE EDC-NG INDUSTRIAL CORNER
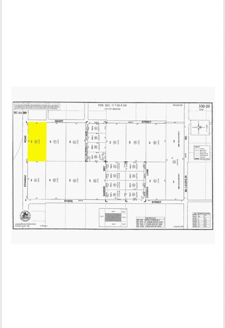
Menifee’s explosive Northern Gateway Economic Development Corridor (EDC-NG zoning). 4.41 flat, usable acres with 1,000+ ft of combined frontage on Ethanac Rd & Geary Ave. Only 3 minutes to I-215, 35,000+ VPD on Ethanac, and surrounded by new Amazon-last-mile, Home Depot, WinCo, and national big-box.
Menifee’s explosive Northern Gateway Economic Development Corridor (EDC-NG zoning). 4.41 flat, usable acres with 1,000+ ft of combined frontage on Ethanac Rd & Geary Ave. Only 3 minutes to I-215, 35,000+ VPD on Ethanac, and surrounded by new Amazon-last-mile, Home Depot, WinCo, and national big-box.
Property Details
Price:
$4,200,000
MLS #:
SR25221009
Status:
Active
Beds:
0
Baths:
0
Type:
Land
Neighborhood:
699notdefined
Listed Date:
Sep 18, 2025
Lot Size:
192,000 sqft / 4.41 acres (approx)
See this Listing
Schools
Interior
Exterior
Community Features
SUB
Financial
Map
Community
- AddressEthanac Menifee CA
- CityMenifee
- CountyRiverside
- Zip Code92585
Market Summary
Property Summary
- Ethanac Menifee CA is a Land for sale in Menifee, CA, 92585. It is listed for $4,200,000 and features 4 acres.
Similar Listings Nearby
Ethanac
Menifee, CA






