Five acres of wide open desert with mountain views so good you’ll feel like you accidentally wandered into a postcard. Located on the east side of Lucerne Valley, you’re a stone’s throw from Cougar Buttes, Soggy Dry Lake, and only about 20 minutes from King of the Hammers. Utilities are out there, just not nearby, but that just means you can set up camp, light a fire, and pretend you’re starring in your own desert survival show…minus the actual danger. Swing by, check out the views, and picture where you’d set up camp!
This property does not have an address assigned. “777 Peffer Ln” is for listing purposes only.
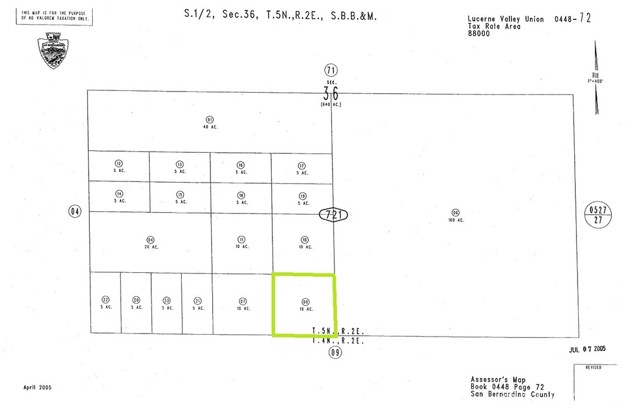
APN# 0449-541-53-0000
Coordinates:34.456907 / -116.796650
This property does not have an address assigned. “777 Peffer Ln” is for listing purposes only.
APN# 0449-541-53-0000
Coordinates:34.456907 / -116.796650
Property Details
Price:
$19,000
MLS #:
HD25221656
Status:
Active
Beds:
0
Baths:
0
Type:
Land
Neighborhood:
luv
Listed Date:
Sep 19, 2025
Lot Size:
217,800 sqft / 5.00 acres (approx)
See this Listing
Schools
Interior
Exterior
Community Features
RUR
Financial
Map
Community
- AddressPeffer LN Lucerne Valley CA
- CityLucerne Valley
- CountySan Bernardino
- Zip Code92356
Subdivisions in Lucerne Valley
Market Summary
Current real estate data for Land in Lucerne Valley as of Nov 03, 2025
139
Land Listed
80
Avg DOM
$141,895
Avg List Price
Property Summary
- Peffer LN Lucerne Valley CA is a Land for sale in Lucerne Valley, CA, 92356. It is listed for $19,000 and features 5 acres.
Similar Listings Nearby
Peffer LN
Lucerne Valley, CA


