Prime Investment Opportunity in Mount Washington
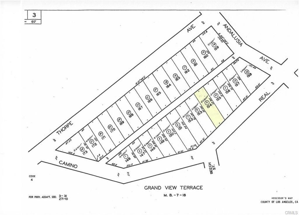
Unlock the potential of this 5,556 sq ft hillside lot nestled in the highly desirable Mount Washington neighborhood. With breathtaking views and close proximity to Downtown Los Angeles, this location offers both tranquility and convenience—ideal for investors or developers seeking a standout property in a coveted area. This is raw land no utilities or survey have been preformed APN: 5452-003-009
Please consult the City of LA Building and Safety for zoning, development, and permitting details.
Buyer and Buyer’s Agent are advised to conduct their own due diligence regarding lot boundaries, feasibility, and potential uses.
No guarantees or warranties are provided regarding the condition or development potential of the property.
All information is deemed reliable but not guaranteed.
Unlock the potential of this 5,556 sq ft hillside lot nestled in the highly desirable Mount Washington neighborhood. With breathtaking views and close proximity to Downtown Los Angeles, this location offers both tranquility and convenience—ideal for investors or developers seeking a standout property in a coveted area. This is raw land no utilities or survey have been preformed APN: 5452-003-009
Please consult the City of LA Building and Safety for zoning, development, and permitting details.
Buyer and Buyer’s Agent are advised to conduct their own due diligence regarding lot boundaries, feasibility, and potential uses.
No guarantees or warranties are provided regarding the condition or development potential of the property.
All information is deemed reliable but not guaranteed.
Property Details
Price:
$79,999
MLS #:
IV25240901
Status:
Active
Beds:
0
Baths:
0
Type:
Land
Neighborhood:
680mountwashington
Listed Date:
Oct 16, 2025
Lot Size:
5,558 sqft / 0.13 acres (approx)
See this Listing
Schools
Interior
Exterior
Community Features
URB
Financial
Map
Community
- AddressN Camino Real Lot 154 Los Angeles CA
- CityLos Angeles
- CountyLos Angeles
- Zip Code90065
Subdivisions in Los Angeles
Market Summary
Current real estate data for Land in Los Angeles as of Jan 11, 2026
63
Land Listed
103
Avg DOM
$833,612
Avg List Price
Property Summary
- N Camino Real Lot 154 Los Angeles CA is a Land for sale in Los Angeles, CA, 90065. It is listed for $79,999 and features 0 acres.
Similar Listings Nearby
N Camino Real Lot 154
Los Angeles, CA


