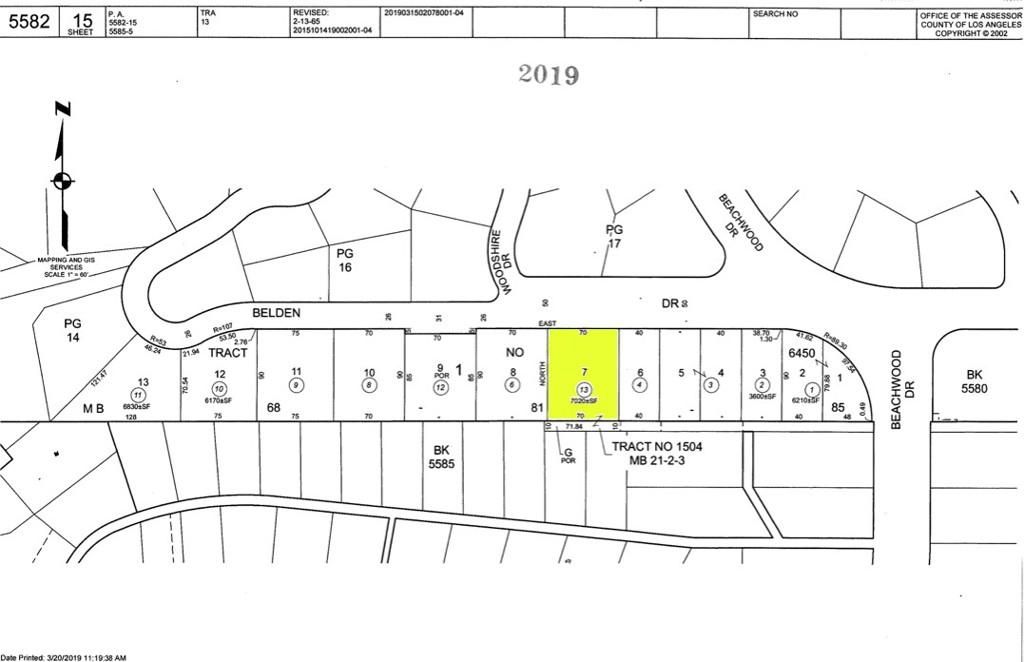
Nestled in the heart of the historic Hollywood Hills, this rare vacant lot on Belden Drive, Los Angeles, CA 90068 (APN: 5582-015-013) offers an exceptional opportunity to own a piece of one of LA’s most iconic neighborhoods. Surrounded by lush canyons and multi-million dollar homes, the parcel is ideally situated just steps from the beloved Beachwood Cafe and the charming Beachwood Village, all beneath the backdrop of the world-famous Hollywood Sign. In 2006, the owner obtained approval for plans to build a three-story home, including geologic and soil studies, site plans, floor plan, permit approval, and a topographic plan—making this a unique offering with prior documentation already in place (contact with the city is recommended). With 7,020 square feet (per Assessor) of potential, this lot places you in one of the most sought-after residential enclaves in Los Angeles. Don’t miss your chance to invest in this coveted corner of the Hollywood Hills! ****Buyer and buyer’s agent to verify all information with the city or county for allowable uses and requirements and rely on their own investigations. **Buyer responsible for checking zoning, utilities, permits and exact property boundaries. ****
Property Details
Price:
$375,000
MLS #:
SW25190661
Status:
Active
Beds:
0
Baths:
0
Type:
Land
Neighborhood:
c30hollywoodhillseast
Listed Date:
Aug 22, 2025
Lot Size:
7,100 sqft / 0.16 acres (approx)
See this Listing
Schools
Interior
Exterior
Community Features
SDW, SUB, MIL
Financial
Map
Community
- AddressBelden DR Lot 7 Los Angeles CA
- CityLos Angeles
- CountyLos Angeles
- Zip Code90068
Subdivisions in Los Angeles
Market Summary
Current real estate data for Land in Los Angeles as of Jan 11, 2026
84
Land Listed
85
Avg DOM
$714,751
Avg List Price
Property Summary
- Belden DR Lot 7 Los Angeles CA is a Land for sale in Los Angeles, CA, 90068. It is listed for $375,000 and features 0 acres.
Similar Listings Nearby
Belden DR Lot 7
Los Angeles, CA


