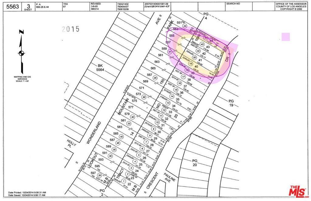
Rare West Hollywood Hills Development Opportunity. Two vacant adjacent lots (approx. 6,000 SF total, 60′ frontage) in a prime West Hollywood area. One of the many perks is that Utilities are near by. This is a 2 lot package developer’s special. Both lots sold together. APN# 5563-003-042 & 5563-003-043.
Property Details
Price:
$89,000
MLS #:
25578065
Status:
Active
Beds:
0
Baths:
0
Type:
Land
Neighborhood:
c03sunsetstriphollywoodhillswest
Listed Date:
Nov 17, 2025
Lot Size:
3,049 sqft / 0.07 acres (approx)
See this Listing
Schools
Interior
Exterior
Financial
Map
Community
- Address8961 Crescent DR Los Angeles CA
- CityLos Angeles
- CountyLos Angeles
- Zip Code90046
Subdivisions in Los Angeles
Market Summary
Current real estate data for Land in Los Angeles as of Jan 21, 2026
98
Land Listed
104
Avg DOM
$734,313
Avg List Price
Property Summary
- 8961 Crescent DR Los Angeles CA is a Land for sale in Los Angeles, CA, 90046. It is listed for $89,000 and features 0 acres.
Similar Listings Nearby
8961 Crescent DR
Los Angeles, CA


