There are multiple listings for this address:
1214, 1214 1/2, 1216, 1216 1/2 & 1218 Arapahoe St, Los Angeles CA 90006
Presenting a Clean Modern look 2022 NEW CONSTRUCTION 5 Unit Property.
Option For Sale or Lease
Don’t miss out on this Huge Discount. Priced to go.
Similar Project Appraised at $5,870,000. Similar project located just 1 Street away, same builder, same Bedroom & Bathroom count, with approx. 1,553 sqft less than 1218 Arapahoe St.
Sales prices gives the Buyer a great opportunity to a good amount of equity.
Lease pricing is per room. If not buying you can Rent the whole property or rent a unit privately, where everything in the unit is private to you. There’s (1) unit 7 bedrooms and 6 bathrooms, (2) units of 7 bedrooms and 7 bathrooms, (2)units of 5 bedrooms and 5 bathrooms OR you can Rent per room, where Bedroom and Bath would be private; Common spaces like Kitchen and Laundry would be shared.
This project is located in a hot rental area. Location, location, location! Property has little to no maintenance; super convenient for the owner. A perfect co living investment property that when leased would bring in a Pro forma Cap rate of 7.433%.
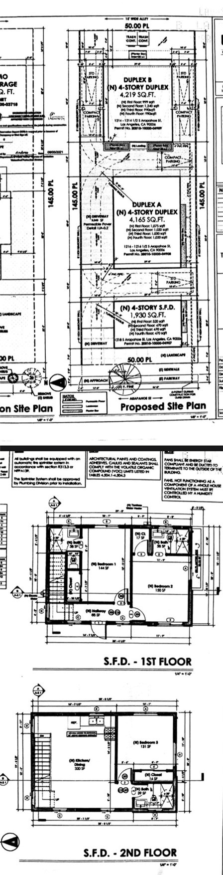
Property’s breakdown is the following: 1(FRONT, SingleFamilyResidence) Unit is 7 BED, 6 BATH.
(MIDDLE Duplex-mirrored units) is 7 BED, 7 BATH X2
(REAR Duplex-mirrored units) is 5 BED, 5 BATH X2
Total of 31 Bedrooms and 30 Bathrooms
All units are Quad-Level & separately metered for each utility service.
This property is rare to find, making it a hot commodity!
Buyer(s) to independently verify all information on this listing. Listing agent is not liable for any information that turns out incorrect. The accuracy of all information, regardless of source, including but not limited to square footages, lot sizes, income, and expenses, is deemed reliable but not guaranteed.
Presenting a Clean Modern look 2022 NEW CONSTRUCTION 5 Unit Property.
Option For Sale or Lease
Don’t miss out on this Huge Discount. Priced to go.
Similar Project Appraised at $5,870,000. Similar project located just 1 Street away, same builder, same Bedroom & Bathroom count, with approx. 1,553 sqft less than 1218 Arapahoe St.
Sales prices gives the Buyer a great opportunity to a good amount of equity.
Lease pricing is per room. If not buying you can Rent the whole property or rent a unit privately, where everything in the unit is private to you. There’s (1) unit 7 bedrooms and 6 bathrooms, (2) units of 7 bedrooms and 7 bathrooms, (2)units of 5 bedrooms and 5 bathrooms OR you can Rent per room, where Bedroom and Bath would be private; Common spaces like Kitchen and Laundry would be shared.
This project is located in a hot rental area. Location, location, location! Property has little to no maintenance; super convenient for the owner. A perfect co living investment property that when leased would bring in a Pro forma Cap rate of 7.433%.
Property’s breakdown is the following: 1(FRONT, SingleFamilyResidence) Unit is 7 BED, 6 BATH.
(MIDDLE Duplex-mirrored units) is 7 BED, 7 BATH X2
(REAR Duplex-mirrored units) is 5 BED, 5 BATH X2
Total of 31 Bedrooms and 30 Bathrooms
All units are Quad-Level & separately metered for each utility service.
This property is rare to find, making it a hot commodity!
Buyer(s) to independently verify all information on this listing. Listing agent is not liable for any information that turns out incorrect. The accuracy of all information, regardless of source, including but not limited to square footages, lot sizes, income, and expenses, is deemed reliable but not guaranteed.
Property Details
Price:
$4,997,000
MLS #:
DW25031104
Status:
Active
Beds:
0
Baths:
0
Type:
Single Family
Subtype:
Own Your Own
Neighborhood:
699notdefined
Listed Date:
Feb 18, 2025
Lot Size:
7,250 sqft / 0.17 acres (approx)
Year Built:
2022
See this Listing
Schools
School District:
Los Angeles Unified
Interior
Bathrooms
24 Full Bathrooms
Cooling
CA
Heating
CF
Laundry Features
GE, WH
Exterior
Architectural Style
MOD
Community Features
SDW, SL, URB, CRB, BIKI
Parking Spots
10
Financial
Map
Community
- Address1218 Arapahoe St Los Angeles CA
- CityLos Angeles
- CountyLos Angeles
- Zip Code90006
Subdivisions in Los Angeles
Market Summary
Current real estate data for Single Family in Los Angeles as of Dec 16, 2025
3,165
Single Family Listed
75
Avg DOM
813
Avg $ / SqFt
$1,473,434
Avg List Price
Property Summary
- 1218 Arapahoe St Los Angeles CA is a Single Family for sale in Los Angeles, CA, 90006. It is listed for $4,997,000 and features 0 beds, 0 baths, and has approximately 0 square feet of living space, and was originally constructed in 2022. The average price per square foot for Single Family listings in Los Angeles is $813. The average listing price for Single Family in Los Angeles is $1,473,434.
Similar Listings Nearby
1218 Arapahoe St
Los Angeles, CA
1214, 1214 1/2, 1216, 1216 1/2 & 1218 Arapahoe St, Los Angeles CA 90006
Presenting a Clean Modern look 2022 NEW CONSTRUCTION 5 Unit Property.
Option For Sale or Lease
Don’t miss out on this Huge Discount. Priced to go.
Similar Project Appraised at $5,870,000. Similar project located just 1 Street away, same builder, same Bedroom & Bathroom count, with approx. 1,553 sqft less than 1218 Arapahoe St.
Sales prices gives the Buyer a great opportunity to a good amount of equity.
Lease pricing is per room. If not buying you can Rent the whole property or rent a unit privately, where everything in the unit is private to you. There’s (1) unit 7 bedrooms and 6 bathrooms, (2) units of 7 bedrooms and 7 bathrooms, (2)units of 5 bedrooms and 5 bathrooms OR you can Rent per room, where Bedroom and Bath would be private; Common spaces like Kitchen and Laundry would be shared.
This project is located in a hot rental area. Location, location, location! Property has little to no maintenance; super convenient for the owner. A perfect co living investment property that when leased would bring in a Pro forma Cap rate of 7.433%.
Property’s breakdown is the following: 1(FRONT, SingleFamilyResidence) Unit is 7 BED, 6 BATH.
(MIDDLE Duplex-mirrored units) is 7 BED, 7 BATH X2
(REAR Duplex-mirrored units) is 5 BED, 5 BATH X2
Total of 31 Bedrooms and 30 Bathrooms
All units are Quad-Level & separately metered for each utility service.
This property is rare to find, making it a hot commodity!
Buyer(s) to independently verify all information on this listing. Listing agent is not liable for any information that turns out incorrect. The accuracy of all information, regardless of source, including but not limited to square footages, lot sizes, income, and expenses, is deemed reliable but not guaranteed.
Presenting a Clean Modern look 2022 NEW CONSTRUCTION 5 Unit Property.
Option For Sale or Lease
Don’t miss out on this Huge Discount. Priced to go.
Similar Project Appraised at $5,870,000. Similar project located just 1 Street away, same builder, same Bedroom & Bathroom count, with approx. 1,553 sqft less than 1218 Arapahoe St.
Sales prices gives the Buyer a great opportunity to a good amount of equity.
Lease pricing is per room. If not buying you can Rent the whole property or rent a unit privately, where everything in the unit is private to you. There’s (1) unit 7 bedrooms and 6 bathrooms, (2) units of 7 bedrooms and 7 bathrooms, (2)units of 5 bedrooms and 5 bathrooms OR you can Rent per room, where Bedroom and Bath would be private; Common spaces like Kitchen and Laundry would be shared.
This project is located in a hot rental area. Location, location, location! Property has little to no maintenance; super convenient for the owner. A perfect co living investment property that when leased would bring in a Pro forma Cap rate of 7.433%.
Property’s breakdown is the following: 1(FRONT, SingleFamilyResidence) Unit is 7 BED, 6 BATH.
(MIDDLE Duplex-mirrored units) is 7 BED, 7 BATH X2
(REAR Duplex-mirrored units) is 5 BED, 5 BATH X2
Total of 31 Bedrooms and 30 Bathrooms
All units are Quad-Level & separately metered for each utility service.
This property is rare to find, making it a hot commodity!
Buyer(s) to independently verify all information on this listing. Listing agent is not liable for any information that turns out incorrect. The accuracy of all information, regardless of source, including but not limited to square footages, lot sizes, income, and expenses, is deemed reliable but not guaranteed.
Property Details
Price:
$1,500
MLS #:
DW25220849
Status:
Active
Beds:
31
Baths:
24
Type:
Single Family
Subtype:
Own Your Own
Neighborhood:
699notdefined
Listed Date:
Sep 21, 2025
Finished Sq Ft:
10,314
Lot Size:
7,250 sqft / 0.17 acres (approx)
Year Built:
2022
See this Listing
Schools
School District:
Los Angeles Unified
Interior
Bathrooms
24 Full Bathrooms
Cooling
CA
Heating
CF
Laundry Features
GE, WH
Exterior
Architectural Style
MOD
Community Features
SDW, SL, URB, CRB, BIKI
Parking Spots
10
Financial
Map
Community
- Address1218 Arapahoe St Los Angeles CA
- CityLos Angeles
- CountyLos Angeles
- Zip Code90006
Subdivisions in Los Angeles
Market Summary
Current real estate data for Single Family in Los Angeles as of Dec 16, 2025
3,165
Single Family Listed
75
Avg DOM
813
Avg $ / SqFt
$1,473,434
Avg List Price
Property Summary
- 1218 Arapahoe St Los Angeles CA is a Single Family for sale in Los Angeles, CA, 90006. It is listed for $1,500 and features 31 beds, 24 baths, and has approximately 10,314 square feet of living space, and was originally constructed in 2022. The current price per square foot is $0. The average price per square foot for Single Family listings in Los Angeles is $813. The average listing price for Single Family in Los Angeles is $1,473,434.










































