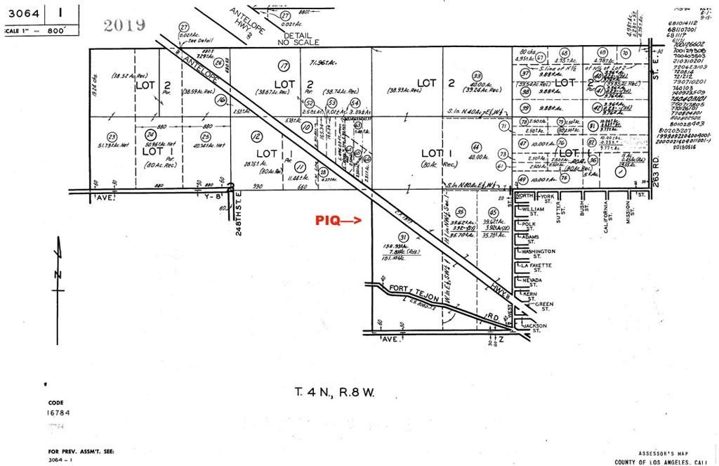
HUGE POTENTIAL ON A HUGE 152+ ACRES*** This massive property is the opportunity of your life. Split by two main roads, i may have access from many avenues: Highway 138 to and from Los Angeles, to San Bernardino, Phelan, Victorville, on the way to Las Vegas. Close to the winter-time destination of Wrightwood, the Mormon Rocks and the Cajon Pass. This property offers you room to play, work, it’s in the pass of the future.
Property Details
Price:
$450,000
MLS #:
IG25237724
Status:
Active
Beds:
0
Baths:
0
Type:
Land
Neighborhood:
llollano
Listed Date:
Dec 4, 2025
Lot Size:
6,638,025 sqft / 152.39 acres (approx)
See this Listing
Schools
Interior
Exterior
Community Features
RUR, BLM, FHL, HRS, PSV
Financial
Map
Community
- Address31 Hwy 138 Llano CA
- CityLlano
- CountyLos Angeles
- Zip Code93544
Market Summary
Property Summary
- 31 Hwy 138 Llano CA is a Land for sale in Llano, CA, 93544. It is listed for $450,000 and features 152 acres.
Similar Listings Nearby
31 Hwy 138
Llano, CA


