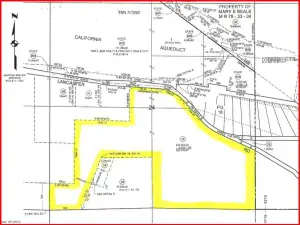
We are pleased to present a unique opportunity consisting of 13.21 acres on primarily flat commercial land along the 5 Freeway at the intersection of Highway 138. With 3 freeway off-ramps/on-ramps directly onto the property, the property, which has already paved roads, is well-positioned for a developer to take advantage of the 250,000+ vehicles per day traveling along one of the busiest freeways in the world that provides access to Los Angeles ports, Central Valley agricultural businesses, San Francisco tech hubs, and the entire West Coast. Ownership has a land use survey completed by David Evans and Associates, Inc. which can be made available for qualified buyers. Potential uses include hotels/motels, drive-through services, utility-scale solar energy, along with a myriad of other options, which the Buyer shall rely on their own due diligence and investigations to confirm in full. With nearby future developments including the fully entitled 12,000+ acre Centennial at Tejon Ranch Master Planned Community approximately3 miles away, which include 19,000+ homes and 10M+ square feet of retail/public/business park/office space/civic development, the next owner of these parcels may be well positioned for significant growth over the coming years. Also nearby is Pyramid Lake only 5 miles to the south, and the Tejon Ranch Commerce Center just 8 miles to the north. Seller financing available for qualified buyers! Contact the listing team today for additional information regarding this unique opportunity.
Property Details
Price:
$1,295,000
MLS #:
26649933
Status:
Active
Beds:
0
Baths:
0
Type:
Land
Neighborhood:
lebclebec
Listed Date:
Feb 10, 2026
Lot Size:
575,372 sqft / 13.21 acres (approx)
See this Listing
Schools
Interior
Exterior
Financial
Map
Community
- Address9 Quail Lake RD Lebec CA
- CityLebec
- CountyLos Angeles
- Zip Code93243
Market Summary
Property Summary
- 9 Quail Lake RD Lebec CA is a Land for sale in Lebec, CA, 93243. It is listed for $1,295,000 and features 13 acres.
Similar Listings Nearby
9 Quail Lake RD
Lebec, CA


