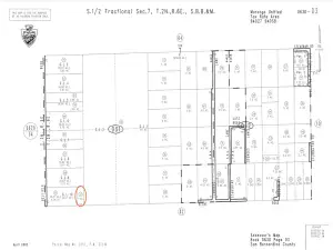
No address has yet been assigned to this property. This is a 5-acre lot in Landers. It is one lot removed (south) from Pine Avenue, a dirt road running east and west about 330’ to the north of the property. (NOTE: Google Maps calls this “Jackrabbit Rd”; however, the water company says it’s “Pine St”.) There are access and utility easements to nearly all properties in the area, and this is no exception. There is no actual access road that comes from Pine moving south to the property. However, you can drive to the property by following a streambed south from Pine 330’ to the northeast corner of the lot. There is fairly easy access to electricity here, as SoCal Edison lines run east and west along the south line of Pine Avenue. That puts them about 330’ north of the property, so— close by. Water is available on Pine Ave, and the Bighorn-Desert View Water Agency covers the area. They say they would install a meter for this property at Pine, but plumbing to the lot itself would be the responsibility of whoever was the owner at that time. Any Buyer is urged to contact the water company for specifics as to the actual cost of meter installation, as well as for plumbing the 330′ south from Pine to the property itself. Whether you’re looking to build your “desert retreat” or a full-time home, this would be a great spot to consider. It’s reasonably close to Yucca Valley and all the shopping and service centers there, and yet you do feel like you’re in the middle of nowhere. This would be a great spot to consider, especially considering the ready availability of utilities. Come check it out!
Property Details
Price:
$29,900
MLS #:
IG25237251
Status:
Active
Beds:
0
Baths:
0
Type:
Land
Neighborhood:
dc591landers
Listed Date:
Oct 10, 2025
Lot Size:
217,800 sqft / 5.00 acres (approx)
See this Listing
Schools
Interior
Exterior
Community Features
RUR, BLM, HRS, MIL, BIKI, DGP
Financial
Map
Community
- Address4102 Pine (Jackrabbit) LN Landers CA
- CityLanders
- CountySan Bernardino
- Zip Code92285
Subdivisions in Landers
Market Summary
Property Summary
- 4102 Pine (Jackrabbit) LN Landers CA is a Land for sale in Landers, CA, 92285. It is listed for $29,900 and features 5 acres.
Similar Listings Nearby
4102 Pine (Jackrabbit) LN
Landers, CA








