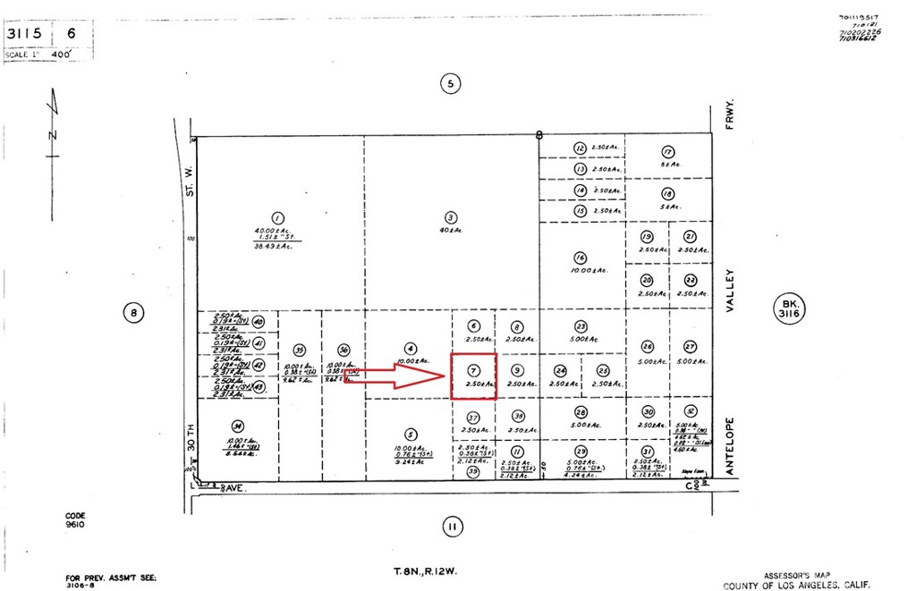
The subject 2.5 acre land is situated at the northwest corner of Highway 14 and West Avenue C, just north of Fox Airfield and Apollo Park. Positioned within a potential future growth area, the property remains unimproved and will be delivered in its current condition.
APN: 3115-006-007
Size: 2.5 Acres
Zoning: A-2-2; LCD22*
Gps: 34.793721, -118.177418
APN: 3115-006-007
Size: 2.5 Acres
Zoning: A-2-2; LCD22*
Gps: 34.793721, -118.177418
Property Details
Price:
$12,995
MLS #:
PW25071848
Status:
Active
Beds:
0
Baths:
0
Type:
Land
Neighborhood:
699notdefined
Listed Date:
Apr 2, 2025
Lot Size:
108,900 sqft / 2.50 acres (approx)
See this Listing
Schools
Interior
Exterior
Community Features
RUR
Financial
Map
Community
- AddressW Avenue B14 + 26th ST.W Lancaster CA
- CityLancaster
- CountyLos Angeles
- Zip Code93536
Market Summary
Property Summary
- W Avenue B14 + 26th ST.W Lancaster CA is a Land for sale in Lancaster, CA, 93536. It is listed for $12,995 and features 3 acres.
Similar Listings Nearby
W Avenue B14 + 26th ST.W
Lancaster, CA











