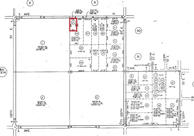
: PAVED ROAD FRONTAGE! Agricultural; Residential. This is almost 5-acre parcel is right on paved Avenue H. Next to: 11210 E AVENUE H, Lancaster. CA (use this address to get to property) or use Latitude 34.718512 andLongitude on JPS 117.924672 There are quite a few houses built in the area. Great private location yet good access to town and shopping. Excellent location for those commuting to Edwards Air Force Base. And lovely views of the desert terrain and the mountains. Don’ miss this one!
Property Details
Price:
$45,000
MLS #:
SR25245151
Status:
Active
Beds:
0
Baths:
0
Type:
Land
Neighborhood:
lac
Listed Date:
Oct 22, 2025
Lot Size:
204,732 sqft / 4.70 acres (approx)
See this Listing
Schools
Interior
Exterior
Community Features
RUR, VLY
Financial
Map
Community
- AddressSte Lot 10 Lancaster CA
- CityLancaster
- CountyLos Angeles
- Zip Code93535
Market Summary
Property Summary
- Ste Lot 10 Lancaster CA is a Land for sale in Lancaster, CA, 93535. It is listed for $45,000 and features 5 acres.
Similar Listings Nearby
Ste Lot 10
Lancaster, CA




