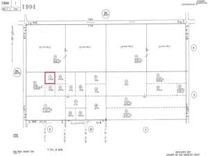
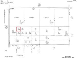
APN: 3366-001-007 Coordinates: 34.730083, -117.931306 2.6 acres for sale in LA County. This lot is located in Lancaster, near the intersection of E Ave G and 100th St E. Zoned LCA21 for agriculture, per county records.
Property Details
Price:
$13,000
MLS #:
IV25153501
Status:
Active
Beds:
0
Baths:
0
Type:
Land
Neighborhood:
lac
Listed Date:
Jul 8, 2025
Lot Size:
113,247 sqft / 2.60 acres (approx)
See this Listing
Schools
Interior
Exterior
Community Features
RUR
Financial
Map
Community
- AddressE 100th St E Lot 3 Lancaster CA
 - CityLancaster
 - CountyLos Angeles
 - Zip Code93535
 
Market Summary
Property Summary
- E 100th St E Lot 3 Lancaster CA is a Land for sale in Lancaster, CA, 93535.  It is listed for $13,000 and features 3 acres.
 
Similar Listings Nearby
E 100th St E Lot 3
Lancaster, CA


