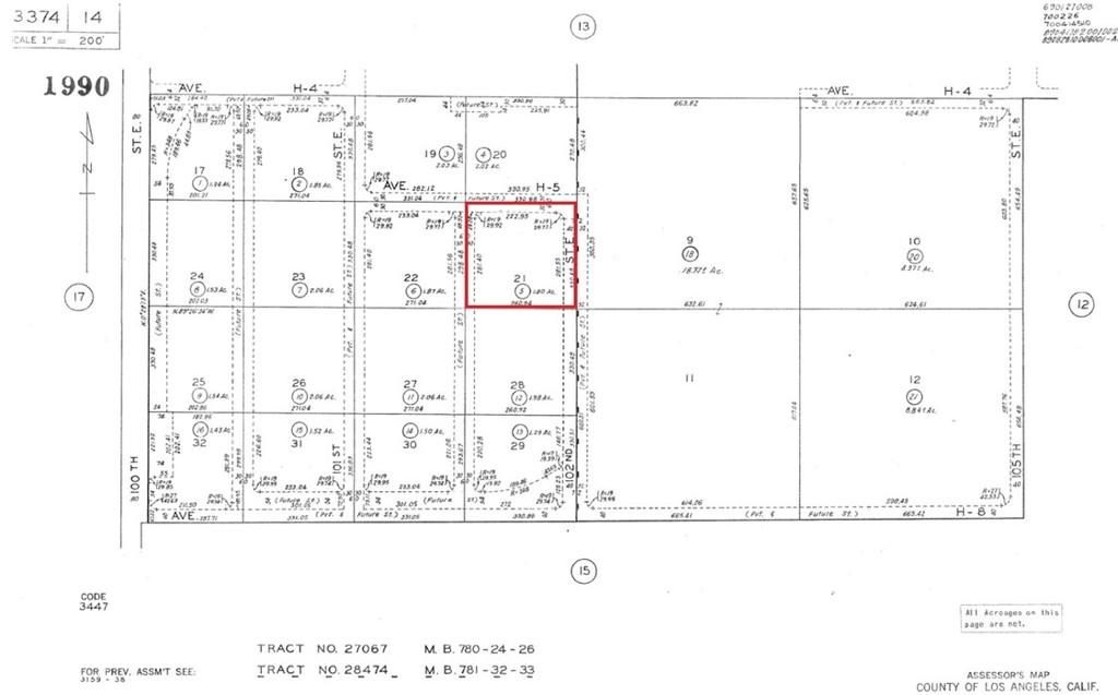
APN: 3374-014-005 Coordinates: 34.714611, -117.947861 2.51 acres for sale in LA County. This vacant lot is located in the Roosevelt area of Lancaster near the corner of E Ave H and 100th St E. Zoned LCA21, per county records.
Property Details
Price:
$15,000
MLS #:
IV25111931
Status:
Active
Beds:
0
Baths:
0
Type:
Land
Neighborhood:
laclancaster
Listed Date:
Sep 16, 2025
Lot Size:
109,407 sqft / 2.51 acres (approx)
See this Listing
Schools
Interior
Exterior
Community Features
RUR
Financial
Map
Community
- AddressAvenue H Lot 21 Lancaster CA
- CityLancaster
- CountyLos Angeles
- Zip Code93535
Market Summary
Property Summary
- Avenue H Lot 21 Lancaster CA is a Land for sale in Lancaster, CA, 93535. It is listed for $15,000 and features 3 acres.
Similar Listings Nearby
Avenue H Lot 21
Lancaster, CA


