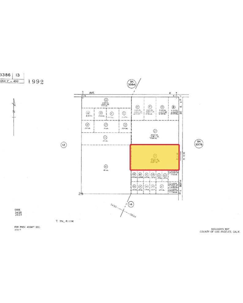
**Exceptional ±20-acre residential development opportunity within the City of Lancaster limits, offering direct frontage on 80th Street East and located approximately 700 feet south of Avenue K. This rare parcel sits in a peaceful agricultural setting surrounded by farmland, providing open views, privacy, and an ideal location for estate-style living or a boutique subdivision.** Zoned RR2.5 / Residential 2.3-2.5-acre minimums (City of Lancaster)**, the property offers potential for **Approximately Six Custom Home sites Plus ADUs** (buyer to verify). The land is level and usable, creating an efficient layout for future development. Recent activity near the southwest corner of Avenue K and 80th Street East shows utility improvements, including a power meter and water line installations (buyer to verify availability and service locations). This increases confidence for near-term development and long-term value. With close proximity to paved Avenue K and convenient access to Lancaster’s amenities, schools, and commuter routes, the property combines a rural feel with city convenience. **Highlights:** • Approx. 20 acres of level land • **Within the City of Lancaster limits** • Direct frontage on 80th St E • ~700 ft south of Avenue K • **Zoning: RR2.5/ Residential 2.3-2.5-acre minimums** • Potential for ~6 homes + ADUs (buyer to verify) • Utilities nearby—power and water activity observed at Ave K & 80th St E • Surrounded by farmland with expansive views • Ideal for developers, builders, investors, or estate buyers A rare chance to secure a large, versatile parcel in Lancaster’s growth path—perfect for development, long-term investment, or custom estate creation.
Property Details
Price:
$125,000
MLS #:
SR25272843
Status:
Active
Beds:
0
Baths:
0
Type:
Land
Neighborhood:
laclancaster
Listed Date:
Dec 9, 2025
Lot Size:
865,973 sqft / 19.88 acres (approx)
See this Listing
Schools
Interior
Exterior
Community Features
FHL
Financial
Map
Community
- Address80th Street East Lancaster CA
- CityLancaster
- CountyLos Angeles
- Zip Code93535
Market Summary
Property Summary
- 80th Street East Lancaster CA is a Land for sale in Lancaster, CA, 93535. It is listed for $125,000 and features 20 acres.
Similar Listings Nearby
80th Street East
Lancaster, CA





















