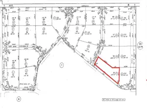
Surround yourself with open sky, mountain views, and the quiet flow of canal and riverfront. This 4.06-acre parcel in West Lancaster offers a rare combination of water access and agricultural zoning (LCA25*), ideal for those seeking space, seclusion, and potential. Located between W Ave E-7 and W Ave F, this land invites imagination—whether for personal retreat, farming, or long-term investment.
Property Details
Price:
$35,000
MLS #:
SB25156476
Status:
Active
Beds:
0
Baths:
0
Type:
Land
Neighborhood:
laclancaster
Listed Date:
Jul 11, 2025
Lot Size:
177,169 sqft / 4.07 acres (approx)
See this Listing
Schools
Interior
Exterior
Community Features
RUR, FHL, FISH, HIKI, BIKI
Financial
Map
Community
- Address22100 West Ave E-11 Lancaster CA
- CityLancaster
- CountyLos Angeles
- Zip Code93536
Market Summary
Property Summary
- 22100 West Ave E-11 Lancaster CA is a Land for sale in Lancaster, CA, 93536. It is listed for $35,000 and features 4 acres.
Similar Listings Nearby
22100 West Ave E-11
Lancaster, CA



