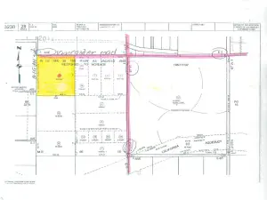
Excellent 4.57 Acre home site! residential builder’s lot zoned for 7000 sq ft lots. Existing homes in the street, Paved frontage 20th St E, located South of Ave H, Great location, very close to shopping, Schools, park, and freeway access. GPS: 34.716891, -118.095203 (NE Corner), Land size: 600’ x 332’
Property Details
Price:
$160,000
MLS #:
PW23203400
Status:
Active
Beds:
0
Baths:
0
Type:
Land
Neighborhood:
699notdefined
Listed Date:
Oct 29, 2025
Lot Size:
199,324 sqft / 4.58 acres (approx)
See this Listing
Schools
Interior
Exterior
Community Features
LAKE, PARK
Financial
Taxes
$1,516
Map
Community
- Address20th St. E/Ave H2 Lancaster CA
- CityLancaster
- CountyLos Angeles
- Zip Code93534
Market Summary
Property Summary
- 20th St. E/Ave H2 Lancaster CA is a Land for sale in Lancaster, CA, 93534. It is listed for $160,000 and features 5 acres.
Similar Listings Nearby
20th St. E/Ave H2
Lancaster, CA


















