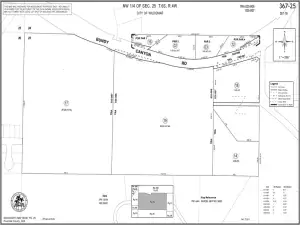
The subject property is approximately 12.37 acres in size and consists of two separate
parcels known as Parcel A & Parcel B. There is currently a conservation agreement in
place which renders the majority of Parcel A as undevelopable although there is still
potential for mitigation value on Parcel A. Parcel B has approximately 650 feet of frontage
along Lakeshore Dr which is broken up by a small EVMWD Pump Station. The property is
relatively flat in topography and slopes toward the creek on the west end of the property
which flows into the Lake Elsinore Channel. There are existing utility lines running along
the south end of the property with both sewer and water existing in Lakeshore Dr.
The property is located on Lakeshore Dr with traffic counts of 14,221 Cars Per Day. The
site is also located just 0.4 miles from I-15 at Diamond Dr with prominent visibility from
both I-15 northbound and southbound traffic, just 0.6 miles from Diamond Stadium, and
within walking distance to multiple restaurants and retail shops.
parcels known as Parcel A & Parcel B. There is currently a conservation agreement in
place which renders the majority of Parcel A as undevelopable although there is still
potential for mitigation value on Parcel A. Parcel B has approximately 650 feet of frontage
along Lakeshore Dr which is broken up by a small EVMWD Pump Station. The property is
relatively flat in topography and slopes toward the creek on the west end of the property
which flows into the Lake Elsinore Channel. There are existing utility lines running along
the south end of the property with both sewer and water existing in Lakeshore Dr.
The property is located on Lakeshore Dr with traffic counts of 14,221 Cars Per Day. The
site is also located just 0.4 miles from I-15 at Diamond Dr with prominent visibility from
both I-15 northbound and southbound traffic, just 0.6 miles from Diamond Stadium, and
within walking distance to multiple restaurants and retail shops.
Property Details
Price:
$2,200,000
MLS #:
IV25064272
Status:
Active
Baths:
0
Type:
Land
Neighborhood:
srcarsouthwestriversidecounty
Listed Date:
Mar 24, 2025
Lot Size:
538,837 sqft / 12.37 acres (approx)
See this Listing
Schools
Interior
Exterior
Community Features
Street Lights
Financial
Map
Community
- Address0 Lakeshore Drive 363130087 Lake Elsinore CA
- NeighborhoodSRCAR – Southwest Riverside County
- CityLake Elsinore
- CountyRiverside
- Zip Code92530
Market Summary
Current real estate data for Land in Lake Elsinore as of Oct 23, 2025
326
Land Listed
301
Avg DOM
$379,954
Avg List Price
Property Summary
- 0 Lakeshore Drive 363130087 Lake Elsinore CA is a Land for sale in Lake Elsinore, CA, 92530. It is listed for $2,200,000 and features 12 acres.
Similar Listings Nearby
0 Lakeshore Drive 363130087
Lake Elsinore, CA











