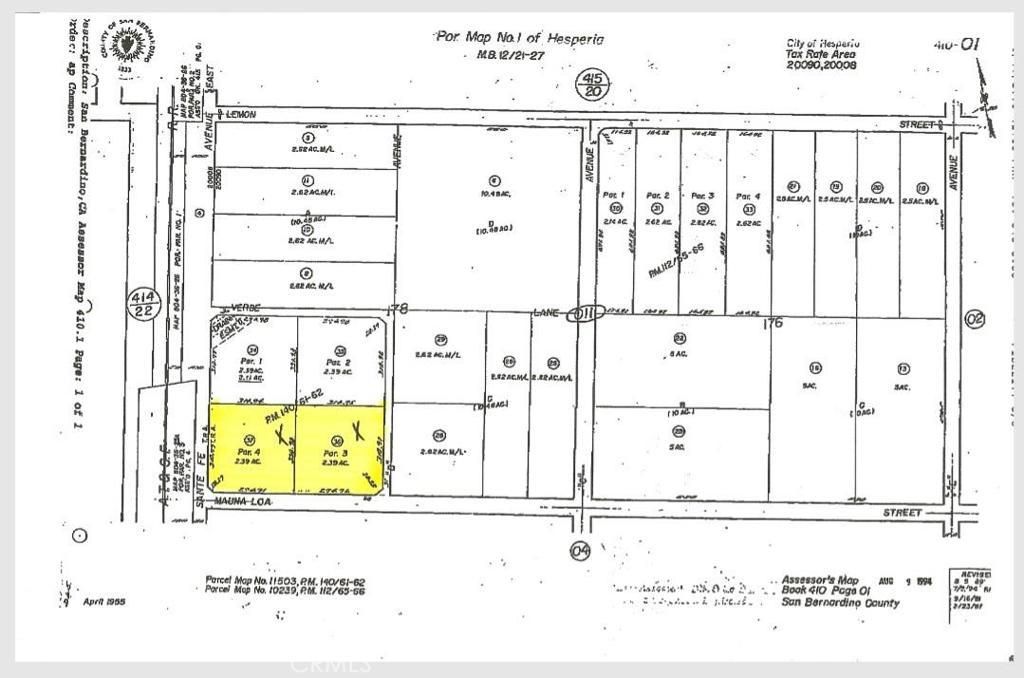
This listing consist of 2 double corner level lots zoned M1/M2 Industrial total of 208217 Square feet, with potential access to rail road and easy access to interstate 15 via main street.
Property Details
Price:
$400,000
MLS #:
524156
Status:
Active
Beds:
0
Baths:
0
Type:
Land
Subtype:
Industrial
Listed Date:
Dec 31, 2024
Lot Size:
208,217 sqft / 4.78 acres (approx)
See this Listing
Schools
Interior
Exterior
Financial
HOA Fee
$1
Map
Community
- Address16801 Mauna Loa E ST Lot 36 Hesperia CA
- CityHesperia
- CountySan Bernardino
- Zip Code92396
Market Summary
Property Summary
- 16801 Mauna Loa E ST Lot 36 Hesperia CA is a Land for sale in Hesperia, CA, 92396. It is listed for $400,000 and features 5 acres.
Similar Listings Nearby
16801 Mauna Loa E ST Lot 36
Hesperia, CA


