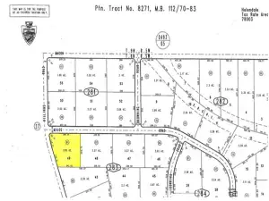
Fencing all around this Beautiful 10 acre Parcel. If you’re looking for a little solitude, this IS the perfect property for you. All 4 corners are marked. Seller has also applied for a permit to drill a well. You must see this parcel to appreciate it.
Property Details
Price:
$40,000
MLS #:
HD25100903
Status:
Active
Beds:
0
Baths:
0
Type:
Land
Neighborhood:
hndlhelendale
Listed Date:
May 6, 2025
Lot Size:
435,600 sqft / 10.00 acres (approx)
See this Listing
Schools
Interior
Exterior
Community Features
RUR
View
DE, MT
Financial
Map
Community
- Address1 N Buckthorne RD Helendale CA
- CityHelendale
- CountySan Bernardino
- Zip Code92342
Market Summary
Property Summary
- 1 N Buckthorne RD Helendale CA is a Land for sale in Helendale, CA, 92342. It is listed for $40,000 and features 10 acres.
Similar Listings Nearby
1 N Buckthorne RD
Helendale, CA


