Investor Home Builder Opportunity – Prime Glendale Hills 10,680 SQ FT Double LOT!
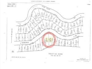
This rare offering: two adjacent hillside lots in the desirable hills of Glendale, just minutes from downtown Los Angeles. With a combined footprint of approximately 10,680 SF, this land offers panoramic views—including the LA skyline—and long-term upside in a high-demand market.
APNs: 5654-024-032 (approx. 5,600 SF) & 5654-024-033 (approx. 5,080 SF)
Sold together as a package deal
Located near the top of a secondary ridgeline
Ideal for future development or land banking
This is a strategic hold for forward-thinking investors seeking value in land appreciation, future infrastructure expansion, or a long-term build-out plan in a premier Southern California market.
This rare offering: two adjacent hillside lots in the desirable hills of Glendale, just minutes from downtown Los Angeles. With a combined footprint of approximately 10,680 SF, this land offers panoramic views—including the LA skyline—and long-term upside in a high-demand market.
APNs: 5654-024-032 (approx. 5,600 SF) & 5654-024-033 (approx. 5,080 SF)
Sold together as a package deal
Located near the top of a secondary ridgeline
Ideal for future development or land banking
This is a strategic hold for forward-thinking investors seeking value in land appreciation, future infrastructure expansion, or a long-term build-out plan in a premier Southern California market.
Property Details
Price:
$45,000
MLS #:
PW25122011
Status:
Active
Beds:
0
Baths:
0
Type:
Land
Neighborhood:
627
Listed Date:
May 31, 2025
Lot Size:
10,680 sqft / 0.25 acres (approx)
See this Listing
Schools
Interior
Exterior
Community Features
FHL, HIKI
Financial
Map
Community
- Address182 EMBURNS RD Lot 182 Glendale CA
- CityGlendale
- CountyLos Angeles
- Zip Code91206
Subdivisions in Glendale
Market Summary
Property Summary
- 182 EMBURNS RD Lot 182 Glendale CA is a Land for sale in Glendale, CA, 91206. It is listed for $45,000 and features 0 acres.
Similar Listings Nearby
182 EMBURNS RD Lot 182
Glendale, CA

