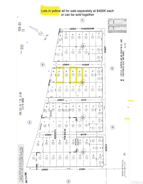
Incredible opportunity to build in a charming, established neighborhood in Corona. This spacious residential lot is zoned R-2, which means it is zoned to build a two-unit multifamily duplex and a possible ADU, but please check with the city for details. Build two units—live in one and rent out the other, or create a multi-generational living space. Located on a quiet street lined with single-family homes, duplexes, and triplexes, the neighborhood offers a welcoming atmosphere just minutes from key conveniences. The property benefits from easy freeway access—both I-15 and the 91 freeway are nearby, making commuting and regional travel seamless. Families will appreciate proximity to Home Gardens Academy (K–8) just 0.4 miles away, and Santiago High School, approximately 3.2 miles from the site. Outdoor enthusiasts will enjoy nearby parks and recreation, including Hidden Valley Nature Center and Louis Robidoux Nature Center within a short drive. Two additional lots are also available from the same owner on the same street—one is zoned R-1 and is directly adjacent to this lot (currently fenced together), and the other is zoned R-2 and located a couple parcels away. Buyers can choose to purchase this lot alone, pair it with either of the other parcels, or acquire all three together to build multiple homes, expand yard space, establish a family compound, or invest for the future. Utilities are nearby and can be easily connected as this is in a residential neighborhood. This represents a rare opportunity to build and invest in an established Corona neighborhood, offering flexibility, access, and long-term potential.
Property Details
Price:
$400,000
MLS #:
NDP2506312
Status:
Active
Beds:
0
Baths:
0
Type:
Land
Neighborhood:
248
Listed Date:
Jun 25, 2025
Lot Size:
8,712 sqft / 0.20 acres (approx)
See this Listing
Schools
Interior
Exterior
Community Features
SL, SUB
Financial
Map
Community
- Address233-013 Byron Lot 12 Corona CA
- CityCorona
- CountyRiverside
- Zip Code92879
Subdivisions in Corona
Market Summary
Property Summary
- 233-013 Byron Lot 12 Corona CA is a Land for sale in Corona, CA, 92879. It is listed for $400,000 and features 0 acres.
Similar Listings Nearby
233-013 Byron Lot 12
Corona, CA











