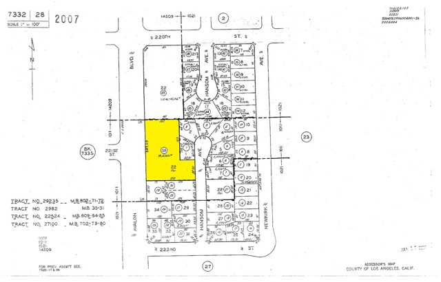
The subject property is a commercially zoned land parcel of approximately 39,377 square feet that has 247 feet of frontage on the primary corridor of Avalon Boulevard in the City of Carson. The parcel is irregular in shape as it has 82 feet of frontage on the back portion of the lot that fronts a cul-de-sac street (Hansome Avenue) which has SFR’s (Single Family Residences). The property is vacant other than a 1,363 square foot building constructed in 1937 that has been used for business offices for the owner for the past several years. The property will be delivered vacant “as-is” at the close of escrow. This offering provides a multitude of potential development opportunities including multi-residential, commercial and mixed use. Buyer to verity with City of Carson the zoning uses permitted and development standards for its intended use and development.
Property Details
Price:
$2,800,000
MLS #:
SB25251385
Status:
Active
Beds:
0
Baths:
0
Type:
Land
Neighborhood:
136
Listed Date:
Oct 31, 2025
Lot Size:
39,377 sqft / 0.90 acres (approx)
See this Listing
Schools
Interior
Exterior
Community Features
CRB
Financial
Map
Community
- AddressAvalon Lot 22 Carson CA
- CityCarson
- CountyLos Angeles
- Zip Code90745
Subdivisions in Carson
Market Summary
Property Summary
- Avalon Lot 22 Carson CA is a Land for sale in Carson, CA, 90745. It is listed for $2,800,000 and features 1 acres.
Similar Listings Nearby
Avalon Lot 22
Carson, CA




