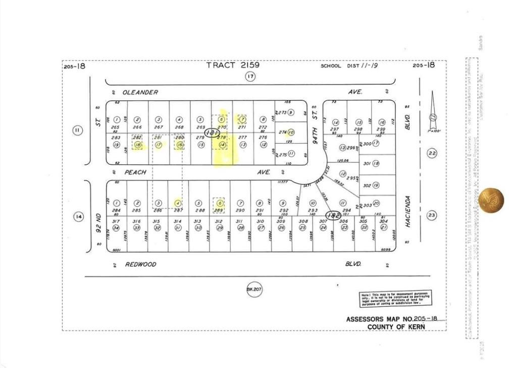
Great California City parcel, ready for your new home plans. Slightly more than 10,000 square feet in the lot which is zoned R1. Notice that homes are present on this paved street. The city indicates utilities are available in or at the street. Buyer to satisfy themselves with such information available from City Building & Planning Departments. There are several completed constructions on Peach Ave. which include two lots over, the house behind the subject but on Oleander, and the house across the street on Peach. Planning indicates no sewer in the street. Plan on septic. City water available. Police & fire are available at this address. Waste Management is a local third party that handles trash needs for the area. The Unified School District Offices are on Redwood a couple of blocks away.
Location of this lot is across the street from the home at 9300 Peach Ave. The property at 9300 Oleander Ave. backs to this lot.
Location of this lot is across the street from the home at 9300 Peach Ave. The property at 9300 Oleander Ave. backs to this lot.
Property Details
Price:
$18,500
MLS #:
PW25188391
Status:
Active
Beds:
0
Baths:
0
Type:
Land
Neighborhood:
cac
Listed Date:
Sep 29, 2025
Lot Size:
10,454 sqft / 0.24 acres (approx)
See this Listing
Schools
Interior
Exterior
Community Features
SUB
Financial
Tax Year
2425
Map
Community
- AddressPeach AV Lot 278 California City CA
- CityCalifornia City
- CountyKern
- Zip Code93505
Subdivisions in California City
Market Summary
Current real estate data for Land in California City as of Nov 24, 2025
240
Land Listed
338
Avg DOM
$15,739
Avg List Price
Property Summary
- Peach AV Lot 278 California City CA is a Land for sale in California City, CA, 93505. It is listed for $18,500 and features 0 acres.
Similar Listings Nearby
Peach AV Lot 278
California City, CA


