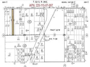
9.8 Acres (APN: 225-115-07-007) GPS: 35.12520, -118.14290 This 9+ acre is located in California City, CA. Welcome to California City, where your dreams of owning residential property can come true! This property, zoned as Limited Agriculture (A-1). The purpose of the Limited Agriculture (A-1) District is to designate areas suitable for a combination of estate-type residential development, agricultural uses, and other compatible uses. Some of the permitted uses are: Single family homes, Manufactured home, mobilehome, growing crops and raising animals. Electricity is located approximately 1.2 mile to the east. This property sits outside any city limits between Mojave to the south and California City to the east. California City, established in 1958, was designed to be California’s next great master-planned city. Despite its vast 203 square miles of land, it maintains a close-knit community feel. Conveniently located along Highways 14 and 58, with Kern Transit providing bus services to nearby cities, accessibility is a breeze. This property does not yet have an address. While the boundary lines on the map offer a glimpse, they are only approximate. A Buyer should verify boundaries, zoning and utilities, ensuring every aspect aligns with their vision for the property.
Property Details
Price:
$20,000
MLS #:
HD25155970
Status:
Active
Beds:
0
Baths:
0
Type:
Land
Neighborhood:
cac
Listed Date:
Jul 11, 2025
Lot Size:
429,066 sqft / 9.85 acres (approx)
See this Listing
Schools
Interior
Exterior
Community Features
VLY, BLM
Financial
Map
Community
- AddressAC Randsburg Cutoff California City CA
- CityCalifornia City
- CountyKern
- Zip Code93501
Subdivisions in California City
Market Summary
Current real estate data for Land in California City as of Nov 07, 2025
322
Land Listed
359
Avg DOM
$13,683
Avg List Price
Property Summary
- AC Randsburg Cutoff California City CA is a Land for sale in California City, CA, 93501. It is listed for $20,000 and features 10 acres.
Similar Listings Nearby
AC Randsburg Cutoff
California City, CA


