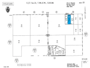
2.6 Acres of vacant land just outside the city limits of Barstow zoned RS-14M, San Bernardino County’s RS-14M zoning is for Single Residential use with a minimum lot size of 14,000 square feet. It is intended for single-family homes and allows for incidental agricultural and recreational uses, along with other compatible uses. Development standards, such as setbacks and lot coverage, are established by the County’s Development Code, with specific rules outlined in its regulations, as seen in San Bernardino County’s official Development Code. Please call County of San Bernardino Planning dept to verify permissible uses at 909) 387-4131 for APN 0426-021-07-0000
Property Details
Price:
$115,000
MLS #:
SW25259935
Status:
Active
Beds:
0
Baths:
0
Type:
Land
Neighborhood:
699
Listed Date:
Nov 14, 2025
Lot Size:
113,691 sqft / 2.61 acres (approx)
See this Listing
Schools
Interior
Exterior
Community Features
RUR
Financial
Map
Community
- AddressWhicker BL Barstow CA
- CityBarstow
- CountySan Bernardino
- Zip Code92331
Market Summary
Property Summary
- Whicker BL Barstow CA is a Land for sale in Barstow, CA, 92331. It is listed for $115,000 and features 3 acres.
Similar Listings Nearby
Whicker BL
Barstow, CA








