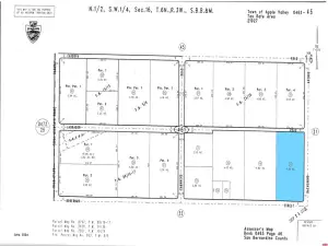
7.49-Acre Industrial Development Opportunity in the North Apple Valley Specific Plan (I-SP) off Navajo Rd. The site (three contiguous parcels) is zoned Industrial Specific Plan (I-SP) and can accommodate a ±147,000 SF industrial building. Water & sewer are in place along Navajo Rd (buyer to verify), delivering significant cost and time savings. Permitted Uses for site include, manufacturing, warehouse/distribution, showroom & office combinations, regional logistics facilities, and support services. Outdoor storage allowed. Centrally positioned among multiple recent institutional-grade land sales and major logistics investor holdings make this site is ideal for a industrial user, investor or developer that can see the future potential. The site is in the path of growth with over 6.7 Million SF of industrial buildings in various stages of entitlement nearby. Close to the future Brightline West “Victor Valley” High-Speed Rail Station – the only stop between Rancho Cucamonga and Las Vegas Across from the Apple Valley Airport, Walmart & Big Lots Distribution Centers. Just off Navajo Rd – a primary north/south arterial with excellent visibility and access to the 15 Fwy. 1.3 million SF industrial project currently under construction immediately north of the site Ability to purchase 2.2 acre corner parcel for a total of 9.69 acres World-Class Logistics Advantages ±109 miles (under 2-hour drive) to the Ports of Los Angeles & Long Beach Immediate access to I-15 and I-40 transcontinental interstates 25 miles to the new $1.5 Billion BNSF Barstow International Gateway (B.I.G.)
Property Details
Price:
$605,000
MLS #:
250045445SD
Status:
Active
Beds:
0
Baths:
0
Type:
Land
Neighborhood:
appvapplevalley
Listed Date:
Dec 9, 2025
Lot Size:
326,264 sqft / 7.49 acres (approx)
See this Listing
Schools
Interior
Exterior
Fencing
NO
View
NO
Financial
Map
Community
- AddressNeedham Ave Apple Valley CA
- CityApple Valley
- CountySan Bernardino
- Zip Code92307
Market Summary
Current real estate data for Land in Apple Valley as of Mar 26, 2026
534
Land Listed
257
Avg DOM
$330,297
Avg List Price
Property Summary
- Needham Ave Apple Valley CA is a Land for sale in Apple Valley, CA, 92307. It is listed for $605,000 and features 7 acres.
Similar Listings Nearby
Needham Ave
Apple Valley, CA


