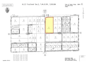
***PRIME MULTI FAMILY LAND IN APPLE VALLEY-PERFECT LOCATION OVER 9 ACRES***Possible 180 Units. NO Joshua trees on this site, flat useable land here! New guidelines for much needed apartments in place NOW! (Verify with the Town of Apple Valley). Directly behind Stater Brothers Shopping Center and close to ALL Services-Major shopping, bus stops, schools, city services, etc. All utilities available including Sewer! Could be utilized for many housing types and is in a premier location for multi family or senior housing. Seller will look at all offers and possibly carry. Not too many large multi family zoned lots like this one! Motivated Sellers, SUBMIT!
Property Details
Price:
$685,000
MLS #:
CV25179571
Status:
Active
Beds:
0
Baths:
0
Type:
Land
Neighborhood:
appv
Listed Date:
Aug 14, 2025
Lot Size:
387,250 sqft / 8.89 acres (approx)
See this Listing
Schools
Interior
Exterior
Community Features
VLY, CRB, CW
Financial
Map
Community
- AddressNavajo RD Lot 1 Apple Valley CA
- CityApple Valley
- CountySan Bernardino
- Zip Code92307
Subdivisions in Apple Valley
Market Summary
Current real estate data for Land in Apple Valley as of Nov 01, 2025
144
Land Listed
70
Avg DOM
$286,589
Avg List Price
Property Summary
- Navajo RD Lot 1 Apple Valley CA is a Land for sale in Apple Valley, CA, 92307. It is listed for $685,000 and features 9 acres.
Similar Listings Nearby
Navajo RD Lot 1
Apple Valley, CA













