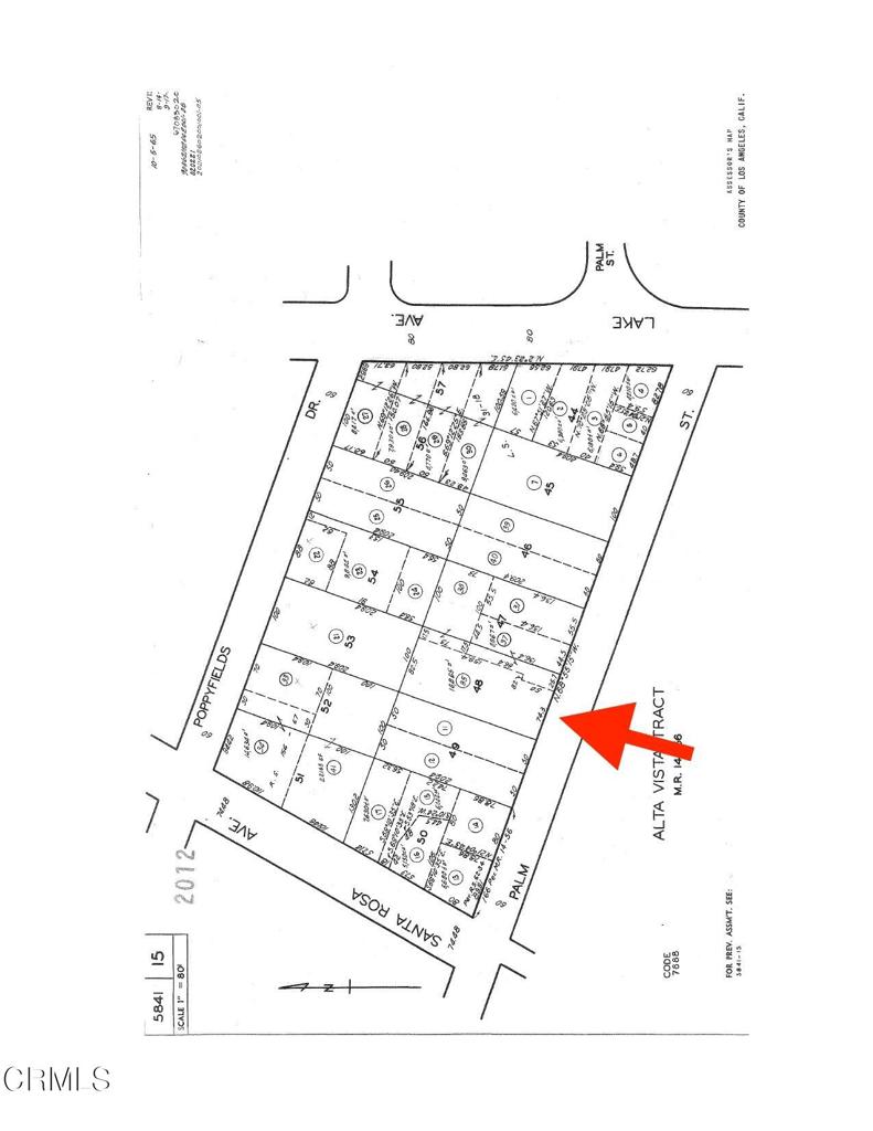
Welcome to 677 E. Palm Street – an exceptional opportunity to rebuild on an expansive parcel in the beautiful Altadena foothills. The 2,000 square foot former home was lost in the Eaton Fire, but what remains is a rare, oversized lot offering a blank canvas for your vision.Spanning over 16,900+ square feet (per assessor), this wide and deep lot presents ample space for a custom home, ADU, pool, gardens, or whatever your lifestyle and imagination call for. The generous dimensions offer flexibility in design and layout – whether you’re envisioning a modern architectural statement, a timeless Craftsman retreat, or a multi-structure compound.Situated on a street with an incredible mountain view backdrop, the location combines residential character with proximity to outdoor recreation and urban convenience. You’re just minutes from hiking trails, parks, and neighborhood favorites.This is a rare chance to build your dream home or create a long-term investment in a community known for its charm, character, and close-knit feel – all on one of the larger lots available in the area.Buyer to verify all building and development potential with Los Angeles County planning and permitting departments.Please drive by only and no trespassing onto the property.
Property Details
Price:
$699,000
MLS #:
P1-22985
Status:
Active
Beds:
0
Baths:
0
Type:
Land
Neighborhood:
604altadena
Listed Date:
Nov 12, 2025
Lot Size:
16,929 sqft / 0.39 acres (approx)
See this Listing
Schools
Interior
Exterior
Community Features
SUB
Financial
Map
Community
- Address677 E Palm ST Altadena CA
- SubdivisionNot Applicable
- CityAltadena
- CountyLos Angeles
- Zip Code91001
Market Summary
Property Summary
- Located in the Not Applicable subdivision, 677 E Palm ST Altadena CA is a Land for sale in Altadena, CA, 91001. It is listed for $699,000 and features 0 acres.
Similar Listings Nearby
677 E Palm ST
Altadena, CA
























