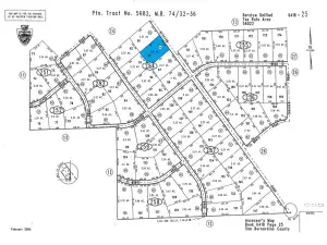
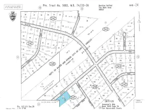
Land for sale in Oro Grande, which is an unincorporated community in the Mojave Desert of San Bernardino County, California and borders Victorville and Adelanto. Parcel is five acres. The Old Route 66 is near and the Interstate 15 between Victorville and Barstow is just a few miles away. This could be the place to have breathtaking views of nature and government land but away from the hustle and bustle of suburban living. It is convenient to shopping centers and restaurants. Plenty of space for your hobbies on this property with a scattering of neighbors. What an amazing place to invest and build your future. Parcel number is 0469 091 38 0000. Adjoining parcel 0469 091 43 0000 which is two and half acres is also for sale. Latitude and longitude coordinates are: 34.663175,-117.223758
Property Details
Price:
$13,000
MLS #:
CV25278674
Status:
Active
Beds:
0
Baths:
0
Type:
Land
Neighborhood:
699notdefined
Listed Date:
Dec 19, 2025
Lot Size:
217,800 sqft / 5.00 acres (approx)
See this Listing
Schools
Interior
Exterior
Community Features
RUR
Financial
Map
Community
- Address1 AKA N of Bell Mountain RD Adelanto CA
- CityAdelanto
- CountySan Bernardino
- Zip Code92368
Market Summary
Property Summary
- 1 AKA N of Bell Mountain RD Adelanto CA is a Land for sale in Adelanto, CA, 92368. It is listed for $13,000 and features 5 acres.
Similar Listings Nearby
1 AKA N of Bell Mountain RD
Adelanto, CA


