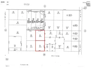
Beautiful View property overlooking the entire Antelope Valley. Two parcels being sold together. You could develop each 5 acre parcel separately or together. (There are also another adjoining four – 5 acre parcels being sold by the same family that could be purchased with these 2) which would afford a total of 30 acres! Easy access to Hwy 14, Palmdale and surrounding communities.
Property Details
Price:
$94,200
MLS #:
SR25202242
Status:
Active
Beds:
0
Baths:
0
Type:
Land
Subdivision:
Custom Acton CACTO
Neighborhood:
actoacton
Listed Date:
Sep 8, 2025
Lot Size:
444,312 sqft / 10.20 acres (approx)
See this Listing
Schools
Interior
Exterior
Community Features
RUR, FHL, HRS, HIKI
Financial
Map
Community
- AddressOreo LN Lot 23 Acton CA
- SubdivisionCustom Acton (CACTO)
- CityActon
- CountyLos Angeles
- Zip Code93510
Subdivisions in Acton
Market Summary
Property Summary
- Located in the Custom Acton (CACTO) subdivision, Oreo LN Lot 23 Acton CA is a Land for sale in Acton, CA, 93510. It is listed for $94,200 and features 10 acres.
Similar Listings Nearby
Oreo LN Lot 23
Acton, CA




