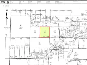
Here is an opportunity to own a large parcel of land in Acton, Ca. Minutes from the 14 Fwy. Located in the Los Angeles County. Build your custom home on this large 41.5 acre lot with fantastic views. Making it easier to start building your dream home or investment property.
Property Details
Price:
$180,000
MLS #:
SR25261235
Status:
Active
Beds:
0
Baths:
0
Type:
Land
Subdivision:
Canyon Ranch CYRH
Neighborhood:
actoacton
Listed Date:
Nov 19, 2025
Lot Size:
1,808,176 sqft / 41.51 acres (approx)
See this Listing
Schools
Interior
Exterior
Community Features
RUR, MTN, HIKI
Financial
Map
Community
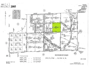
- AddressTuckerway Ranch Rd Lot 15 Acton CA
- SubdivisionCanyon Ranch (CYRH)
- CityActon
- CountyLos Angeles
- Zip Code93510
Subdivisions in Acton
Market Summary
Property Summary
- Located in the Canyon Ranch (CYRH) subdivision, Tuckerway Ranch Rd Lot 15 Acton CA is a Land for sale in Acton, CA, 93510. It is listed for $180,000 and features 42 acres.
Similar Listings Nearby
Tuckerway Ranch Rd Lot 15
Acton, CA






