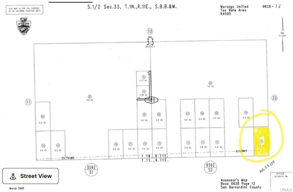
27.5 Acres in 29 Palms: Four-Parcel Desert Dream!
Discover 29 Palms’ vast beauty with this 27.5-acre offering, spanning four unique parcels. Perfectly situated for those seeking serenity or investment, it’s a stone’s throw from Joshua Tree National Park. With its varied landscapes, envision a desert retreat, boutique resort, or artist’s haven. As 29 Palms grows in popularity, seize this golden opportunity. Your desert canvas awaits!
Discover 29 Palms’ vast beauty with this 27.5-acre offering, spanning four unique parcels. Perfectly situated for those seeking serenity or investment, it’s a stone’s throw from Joshua Tree National Park. With its varied landscapes, envision a desert retreat, boutique resort, or artist’s haven. As 29 Palms grows in popularity, seize this golden opportunity. Your desert canvas awaits!
Property Details
Price:
$30,000
MLS #:
JT23177840
Status:
Active
Beds:
0
Baths:
0
Type:
Land
Neighborhood:
699notdefined
Listed Date:
Jul 3, 2025
Lot Size:
1,197,900 sqft / 27.50 acres (approx)
See this Listing
Schools
Interior
Exterior
Community Features
RUR, BLM, MTN, PSV, HIKI
Financial
Map
Community
- AddressFalderman AV Lot 1 29 Palms CA
- City29 Palms
- CountySan Bernardino
- Zip Code92277
Market Summary
Property Summary
- Falderman AV Lot 1 29 Palms CA is a Land for sale in 29 Palms, CA, 92277. It is listed for $30,000 and features 28 acres.
Similar Listings Nearby
Falderman AV Lot 1
29 Palms, CA
















